$3,600,000 - 220 W Edmundson Avenue, Morgan Hill

  • 2.39Acres

Morgan Hill Home For Sale

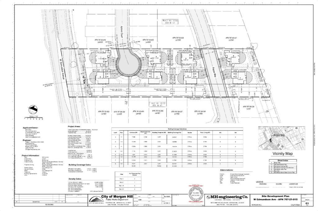
Positioned in desirable west-side Morgan Hill, the West Edmundson project presents a rare opportunity to acquire a nearly shovel-ready residential development in a supply-constrained Silicon Valley submarket. This thoughtfully designed community consists of 8 large single-family home lots, with parcel sizes reaching up to +-13,894 SF. The approved plans feature spacious homes ranging from +-2,794 to 2,904 SF, each offering 5 bedrooms and 4 bathroomsideal for modern family living and strong resale demand. The project benefits from an approved Tentative Map, with the Seller delivering a Final Map ready for recordation within approximately three months, significantly accelerating your path to construction. Ideally located directly across from the Morgan Hill Centennial Recreation Center, residents will enjoy immediate access to premier community amenities including a dog park, expansive community park, and sports facilities featuring basketball, tennis, and pickleball courts. The property is also conveniently situated near Tennant Station, offering shopping, dining, grocery, and everyday conveniences just minutes away. 220 West Edmundson represents an exceptional opportunity for builders and investors seeking a high-quality residential project in the heart of Morgan Hill.

Sales Agent

Sam Smith
  • Sam Smith
  • San Clemente Realtor ®
  • Phone: 949-204-5110
  • Cell: 949-204-5110
  • Contact Agent Now

School Information

  • DistrictOther

Essential Information

  • MLS® #ML82042145
  • Price$3,600,000
  • Bathrooms0.00
  • Acres2.39
  • TypeLand
  • StatusActive
  • Listing AgentMatthew Telfer
  • Listing OfficeSouth County Realty Mh

Additional Information

  • Date ListedApril 8th, 2026
  • Days on Market7
  • ZoningRR
  • Short SaleN
  • RE / Bank OwnedN

Community Information

  • Address220 W Edmundson Avenue
  • Area699 - Not Defined
  • CityMorgan Hill
  • CountySanta Clara
  • Zip Code95037

Similar Type Properties to ML82042145, 220 W Edmundson Avenue, Morgan Hill

Back to Results

Morgan Hill 975 Llagas Road

$2,998,888
Morgan Hill,
Baths
925 Days On Market
Community:

Morgan Hill 18060 Monterey Road

$3,250,000
Morgan Hill,
Baths
91 Days On Market
Community:

Similar Neighborhoods to "" in Morgan Hill, California

Back to Results

  • City:
    Morgan Hill
  • Price Range:
    $175,000 - $6,700,000
  • Current Listings:
    41
  • HOA Dues:
    $24
  • Average Price per Square Foot:
    $

Back to Search Results

Based on information from California Regional Multiple Listing Service, Inc. as of April 15th, 2026 at 2:21am PDT. This information is for your personal, non-commercial use and may not be used for any purpose other than to identify prospective properties you may be interested in purchasing. Display of MLS data is usually deemed reliable but is NOT guaranteed accurate by the MLS. Buyers are responsible for verifying the accuracy of all information and should investigate the data themselves or retain appropriate professionals. Information from sources other than the Listing Agent may have been included in the MLS data. Unless otherwise specified in writing, Broker/Agent has not and will not verify any information obtained from other sources. The Broker/Agent providing the information contained herein may or may not have been the Listing and/or Selling Agent.