$97,000 - 227 E Vac Cor Ave J/227th, Lancaster

  • 9.49Acres

Lancaster Home For Sale

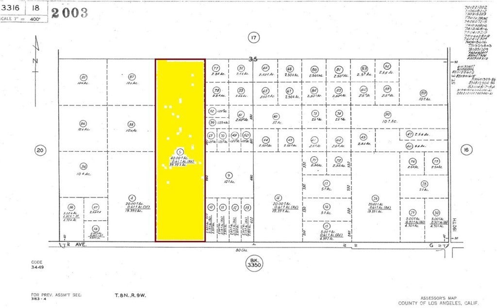
Great Investment Opportunity! 9.49 AC of Agricultural Land located in East Lancaster. This corner parcel offers a rare opportunity for residential and agricultural development. The street frontage on Ave J allows for the property to be easily located and accessed. There are power lines running along Avenue J, water, gas and cable is also available at the street. With the utilities being available this will make your new home construction very easy. This is a perfect location to build your custom dream home. It’s peaceful and quiet and a great place to call home. Sold AS-Is no warranties/ guaranties made. Buyers are encouraged to verify any and all information relating to the land including APN Number, current and future use, lot size, permits, easements, zoning, utility availability and costs, and any Environmental Considerations with the appropriate agencies.

Sales Agent

Sam Smith
  • Sam Smith
  • San Clemente Realtor ®
  • Phone: 949-204-5110
  • Cell: 949-204-5110
  • Contact Agent Now

Amenities

  • UtilitiesSee Remarks, Cable Available, Electricity Available, Water Available
  • ViewDesert

Essential Information

  • MLS® #SR25101110
  • Price$97,000
  • Bathrooms0.00
  • Acres9.49
  • TypeLand
  • StatusActive
  • Listing AgentAnna Watts-miller
  • Listing OfficeCentury 21 Masters

Exterior

  • Lot DescriptionAgricultural, Desert Back, Desert Front

Community Information

  • Address227 E Vac Cor Ave J/227th
  • AreaLAC - Lancaster
  • CityLancaster
  • CountyLos Angeles
  • Zip Code93535

Additional Information

  • Date ListedMay 6th, 2025
  • Days on Market348
  • ZoningLCA11
  • Short SaleN
  • RE / Bank OwnedN

Price Change History for 227 E Vac Cor Ave J/227th, Lancaster, (MLS® #SR25101110)

Date Details Price Change
Price Increased $97,000 $20,000 (25.97%)
Price Increased $77,000 $32,000 (71.11%)
Price Reduced $45,000 $22,000 (32.84%)
Price Reduced (from $97,500) $67,000 $30,500 (31.28%)

Similar Type Properties to SR25101110, 227 E Vac Cor Ave J/227th, Lancaster

Back to Results

Lancaster 23495 E Avenue K8

$82,000
Lancaster,
Baths
26 Days On Market
Community:

Lancaster E Ave H

$90,000
Lancaster,
Baths
138 Days On Market
Community:

Lancaster Ave H Vic 14 Ste

$88,888
Lancaster,
Baths
472 Days On Market
Community:

Lancaster 28 Vac/28th Ste Drt /vic Avenue H

$80,000
Lancaster,
Baths
386 Days On Market
Community:

Similar Neighborhoods to "" in Lancaster, California

Back to Results

  • City:
    Lancaster
  • Price Range:
    $5,500 - $10,600,000
  • Current Listings:
    954
  • HOA Dues:
    $1
  • Average Price per Square Foot:
    $

Back to Search Results

Based on information from California Regional Multiple Listing Service, Inc. as of April 19th, 2026 at 3:13pm PDT. This information is for your personal, non-commercial use and may not be used for any purpose other than to identify prospective properties you may be interested in purchasing. Display of MLS data is usually deemed reliable but is NOT guaranteed accurate by the MLS. Buyers are responsible for verifying the accuracy of all information and should investigate the data themselves or retain appropriate professionals. Information from sources other than the Listing Agent may have been included in the MLS data. Unless otherwise specified in writing, Broker/Agent has not and will not verify any information obtained from other sources. The Broker/Agent providing the information contained herein may or may not have been the Listing and/or Selling Agent.