$325,000 - 65th St East Near Ave R-4 Avenue, Palmdale

  • 4.85Acres

Palmdale Home For Sale

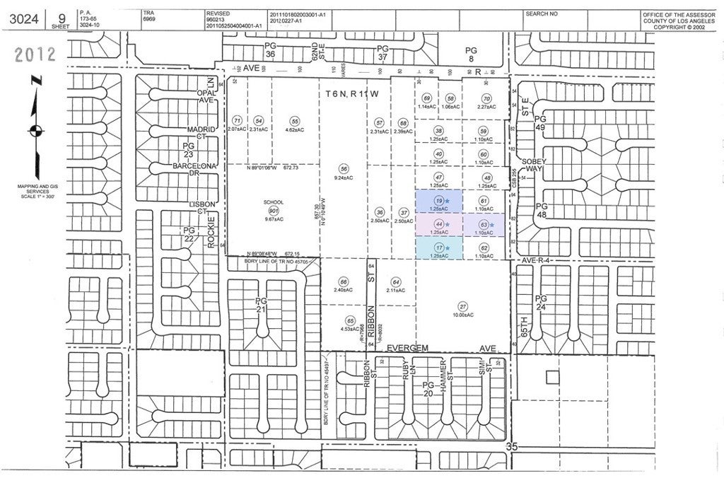
A builder's bundle! Four contiguous parcels totaling just under 5 acres in a prime East Palmdale location within walking distance of schools and park. Paved street frontage with water and electricity along 65th Street, sewer in the street at Ave R-4, and nice existing homes all around. A great opportunity with the potential to build one home, four homes - or subdivide for more! Zoned Single-Family Residential 3 (SFR 3), intended for detached single-family subdivisions containing the City's standard 7,000 square foot minimum lot size (at a maximum of six dwelling units per acre). Check with the City of Palmdale Planning Department for more information on possible uses for these parcels. Includes APNs 3024-009-017, 3024-009-019, 3024-009-044 and 3024-009-063. Package priced for a cash sale. Fantastic potential in a great location! *Buyer to make their own independent investigations regarding Zoning & General Plan Designations, Environmental & Hazard Zones, Access & Development Costs, Availability & Costs of Utilities.

Sales Agent

Sam Smith
  • Sam Smith
  • San Clemente Realtor ®
  • Phone: 949-204-5110
  • Cell: 949-204-5110
  • Contact Agent Now

Amenities

  • UtilitiesElectricity Available, Water Available, Sewer Not Available, Water Not Available
  • ViewNeighborhood

Essential Information

  • MLS® #SR24201397
  • Price$325,000
  • Bathrooms0.00
  • Acres4.85
  • TypeLand
  • StatusActive
  • Listing AgentKarmen Mastin
  • Listing OfficeBig Valley Real Estate

Exterior

  • Lot DescriptionIrregular Lot, Level

Community Information

  • Address65th St East Near Ave R-4 Avenue
  • AreaPLM - Palmdale
  • CityPalmdale
  • CountyLos Angeles
  • Zip Code93553

Additional Information

  • Date ListedSeptember 27th, 2024
  • Days on Market490
  • ZoningSFR 3
  • Short SaleN
  • RE / Bank OwnedN

Price Change History for 65th St East Near Ave R-4 Avenue, Palmdale, (MLS® #SR24201397)

Date Details Price Change
Price Reduced (from $359,000) $325,000 $34,000 (9.47%)

Similar Type Properties to SR24201397, 65th St East Near Ave R-4 Avenue, Palmdale

Back to Results

Palmdale Sierra Hwy/p8 Avenue

$340,000
Palmdale,
Baths
866 Days On Market
Community:

Palmdale Sierra Highway

$330,000
Palmdale,
Baths
109 Days On Market
Community:

Palmdale 2555 Avenue N 4

$299,999
Palmdale,
Baths
121 Days On Market
Community:

Palmdale 11039 Elizabeth Lake Road

$285,000
Palmdale,
Baths
323 Days On Market
Community:

Similar Neighborhoods to "" in Palmdale, California

Back to Results

  • City:
    Palmdale
  • Price Range:
    $6,878 - $40,000,000
  • Current Listings:
    339
  • HOA Dues:
    $1
  • Average Price per Square Foot:
    $

Back to Search Results

Based on information from California Regional Multiple Listing Service, Inc. as of January 30th, 2026 at 7:55pm PST. This information is for your personal, non-commercial use and may not be used for any purpose other than to identify prospective properties you may be interested in purchasing. Display of MLS data is usually deemed reliable but is NOT guaranteed accurate by the MLS. Buyers are responsible for verifying the accuracy of all information and should investigate the data themselves or retain appropriate professionals. Information from sources other than the Listing Agent may have been included in the MLS data. Unless otherwise specified in writing, Broker/Agent has not and will not verify any information obtained from other sources. The Broker/Agent providing the information contained herein may or may not have been the Listing and/or Selling Agent.