$5,490,000 - 10621 Madera Drive, Cupertino

  • 3Beds
  • 2Baths
  • 1,632SQ. Feet
  • 0.77Acres

Cupertino Home For Sale

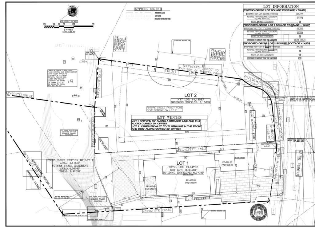
An exceptional development opportunity in a prime Cupertino location for DEVELOPERS & BUILDERS. This expansive 0.77 acre creekside parcel comes with an approved tentative map for a 2-lot subdivision. The property currently includes a single story SFR in original condition. LOT 1 offers a 15,042 SqFt gross lot with 10,427 SqFt of net usable area, extending into a scenic hillside with access down to Stevens Creek. Planning approval is in place for a 2-story, 4,383 SqFt home with 5 beds/4.5 baths, 3-car garage, & a JADU. LOT 2 features a flat 14,135 SqFt lot, ideal for a large custom home & also SB-9 eligible. Conveniently located near Stevens Creek Blvd, Foothill Expwy, & Highways 85/280, the property provides connectivity while remaining tucked into a desirable quiet residential setting within the sought-after Cupertino School District (Monta Vista & Kennedy). The site provides close proximity to Apple Park & Silicon Valley tech companies, making it ideal for both end-users & developers targeting executive-level housing. All design, engineering, surveys, studies, reports and approval documents are available upon request. Buyers to conduct their own due diligence, verification, and confirmation of development potential with the City of Cupertino.

Sales Agent

Sam Smith
  • Sam Smith
  • San Clemente Realtor ®
  • Phone: 949-204-5110
  • Cell: 949-204-5110
  • Contact Agent Now

Amenities

  • Parking Spaces2
  • # of Garages2

Additional Information

  • Date ListedFebruary 3rd, 2026
  • Days on Market9
  • ZoningR110
  • Short SaleN
  • RE / Bank OwnedN

Essential Information

  • MLS® #ML82033535
  • Price$5,490,000
  • Bedrooms3
  • Bathrooms2.00
  • Full Baths2
  • Square Footage1,632
  • Acres0.77
  • Year Built1958
  • TypeResidential
  • Sub-TypeSingle Family Residence
  • StatusActive
  • Listing AgentBobby Ohadi
  • Listing OfficeAbode Real Estate

Exterior

  • RoofOther

Community Information

  • Address10621 Madera Drive
  • Area699 - Not Defined
  • CityCupertino
  • CountySanta Clara
  • Zip Code95014

School Information

  • DistrictOther
  • ElementaryStevens Creek
  • MiddleJohn F. Kennedy
  • HighMonta Vista

Similar Type Properties to ML82033535, 10621 Madera Drive, Cupertino

Back to Results

Cupertino 21697 Rainbow Drive

$6,200,000
Cupertino,
4 Beds
4 Baths
5,890 SqFt
31 Days On Market
Community:

Cupertino 20876 Cherryland

$5,430,000
Cupertino,
7 Beds
6 Baths
3,570 SqFt
Community:

Cupertino 10234 Scenic Boulevard

$6,000,000
Cupertino,
Baths
400 SqFt
961 Days On Market
Community:

Cupertino 20858 Cherryland Drive

$5,990,000
Cupertino,
7 Beds
6 Baths
3,610 SqFt
Community:

Similar Neighborhoods to "" in Cupertino, California

Back to Results

  • City:
    Cupertino
  • Price Range:
    $819,000 - $6,300,000
  • Current Listings:
    48
  • HOA Dues:
    $190
  • Average Price per Square Foot:
    $1,656

Back to Search Results

Based on information from California Regional Multiple Listing Service, Inc. as of February 12th, 2026 at 8:26pm PST. This information is for your personal, non-commercial use and may not be used for any purpose other than to identify prospective properties you may be interested in purchasing. Display of MLS data is usually deemed reliable but is NOT guaranteed accurate by the MLS. Buyers are responsible for verifying the accuracy of all information and should investigate the data themselves or retain appropriate professionals. Information from sources other than the Listing Agent may have been included in the MLS data. Unless otherwise specified in writing, Broker/Agent has not and will not verify any information obtained from other sources. The Broker/Agent providing the information contained herein may or may not have been the Listing and/or Selling Agent.