$399,000 - Lewis Avenue, El Granada

  • 0.80Acres

El Granada Home For Sale

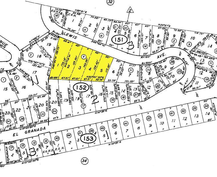
Exceptional Development Opportunity in El Granada Highlands! Seize the rare chance to own an oversized 34,800± sqft lot, complete with one CCWD (Coastside County Water District) water connection included. Nestled in the highly desirable El Granada Highlands on the San Mateo County Coastside, this expansive property offers a serene setting surrounded by beautiful, high-end homes. Buyers are encouraged to explore possibilities for road extension, lot subdivision, and buildability directly with the San Mateo County Planning and Building Division. Enjoy a superb coastal lifestyle with easy access to the beach, the scenic Coastal Trail, and the vibrant Pillar Point Harbor, featuring boutique shopping, fresh seafood markets, and a variety of acclaimed restaurants. Convenient proximity to Highway 1 ensures smooth commutes throughout the Bay Area. Don't miss this rare opportunity on the Coastside! The lot is located a few lots past 138 Lewis Ave.

Sales Agent

Sam Smith
  • Sam Smith
  • San Clemente Realtor ®
  • Phone: 949-204-5110
  • Cell: 949-204-5110
  • Contact Agent Now

Amenities

  • UtilitiesNone

Additional Information

  • Date ListedApril 29th, 2025
  • Days on Market267
  • ZoningR10006
  • Short SaleN
  • RE / Bank OwnedN

Essential Information

  • MLS® #ML82004601
  • Price$399,000
  • Bathrooms0.00
  • Acres0.80
  • TypeLand
  • StatusActive
  • Listing AgentKulda Group
  • Listing OfficeKW Advisors

Exterior

  • Lot DescriptionSloped Down

Community Information

  • AddressLewis Avenue
  • Area699 - Not Defined
  • CityEl Granada
  • CountySan Mateo
  • Zip Code94018

School Information

  • DistrictOther

Price Change History for Lewis Avenue, El Granada, (MLS® #ML82004601)

Date Details Price Change
Price Reduced (from $625,000) $399,000 $226,000 (36.16%)

Similar Type Properties to ML82004601, Lewis Avenue, El Granada

Back to Results

El Granada 121 Lewis Avenue

$399,000
El Granada,
Baths
331 Days On Market
Community:

El Granada Lewis Avenue

$345,000
El Granada,
Baths
182 Days On Market
Community:

Similar Neighborhoods to "" in El Granada, California

Back to Results

  • City:
    El Granada
  • Price Range:
    $13,900 - $1,200,000
  • Current Listings:
    15
  • HOA Dues:
    $0
  • Average Price per Square Foot:
    $

Back to Search Results

Based on information from California Regional Multiple Listing Service, Inc. as of January 21st, 2026 at 7:25pm PST. This information is for your personal, non-commercial use and may not be used for any purpose other than to identify prospective properties you may be interested in purchasing. Display of MLS data is usually deemed reliable but is NOT guaranteed accurate by the MLS. Buyers are responsible for verifying the accuracy of all information and should investigate the data themselves or retain appropriate professionals. Information from sources other than the Listing Agent may have been included in the MLS data. Unless otherwise specified in writing, Broker/Agent has not and will not verify any information obtained from other sources. The Broker/Agent providing the information contained herein may or may not have been the Listing and/or Selling Agent.