$1,499,000 - 570 Minnesota Avenue, San Jose

  • 0.25Acres

San Jose Home For Sale

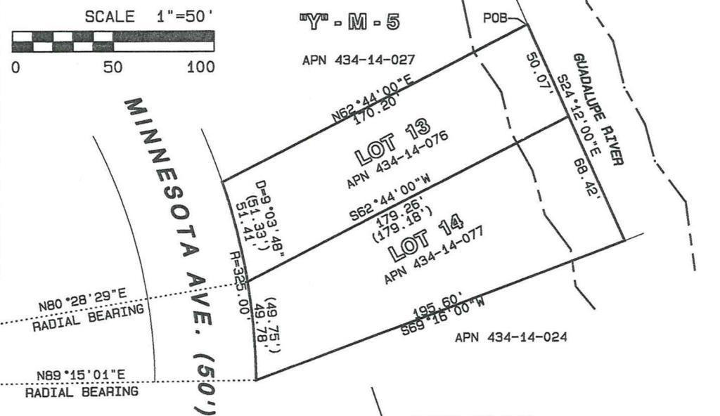
FANTASTIC DEVELOPMENT OPPORTUNITY! What we have for sale is a 2,160/sf, single story, 3 bed, 2.5 bath home on an approximately 19,184/sf lot. The lot has already been split into 2 lots, Certificate of Compliance available. Each lot is for sale at $1,499,000 or they can be purchased together for $2,998,000. Each lot will come with approved building plans for a 5 Bed, 5 Bath, 3,645/sf two story home. The tedious, expensive and time consuming pre-development leg-work has been completed so construction can begin at the close of escrow [reduced loan carry cost during pre-construction phase]. Lot 13, [LEFT LOT], APN #434-14-076 is 8,708/sf and Lot 14 [RIGHT LOT], APN #434-14-077 is 10,769/sf. The existing home is built across/on both lots and needs to be demolished in order to build the new home(s). Buyer is responsible for paying for the permit and school fees. Seller/builder would consider building home(s) out for an interested buyer(s). Building plans and engineering available for review.

Sales Agent

Sam Smith
  • Sam Smith
  • San Clemente Realtor ®
  • Phone: 949-204-5110
  • Cell: 949-204-5110
  • Contact Agent Now

Amenities

  • ViewNone

Additional Information

  • Date ListedOctober 8th, 2022
  • Days on Market6
  • ZoningR1-8
  • Short SaleN
  • RE / Bank OwnedN

Essential Information

  • MLS® #ML81909894
  • Price$1,499,000
  • Bathrooms0.00
  • Acres0.25
  • TypeLand
  • StatusPending
  • Listing AgentJohn Guidace
  • Listing OfficeChristie's International Real Estate Sereno

Exterior

  • Lot DescriptionPaved

Community Information

  • Address570 Minnesota Avenue
  • Area699 - Not Defined
  • CitySan Jose
  • CountySanta Clara
  • Zip Code95125

School Information

  • DistrictSan Jose Unified

Price Change History for 570 Minnesota Avenue, San Jose, (MLS® #ML81909894)

Date Details Price Change
Pending (from Active)

Similar Type Properties to ML81909894, 570 Minnesota Avenue, San Jose

Back to Results

San Jose 1851 Willow Street

$1,699,000
San Jose,
Baths
35 Days On Market
Community:

San Jose Crothers Road

$1,250,000
San Jose,
Baths
1,201 Days On Market
Community:

San Jose 7111 Echo Loop

$1,788,000
San Jose,
Baths
70 Days On Market
Community:

San Jose 21287 Almaden Road

$1,298,950
San Jose,
Baths
114 Days On Market
Community:

Similar Neighborhoods to "" in San Jose, California

Back to Results

  • City:
    San Jose
  • Price Range:
    $175,000 - $30,000,000
  • Current Listings:
    41
  • HOA Dues:
    $15
  • Average Price per Square Foot:
    $

Back to Search Results

Based on information from California Regional Multiple Listing Service, Inc. as of December 16th, 2025 at 1:56pm PST. This information is for your personal, non-commercial use and may not be used for any purpose other than to identify prospective properties you may be interested in purchasing. Display of MLS data is usually deemed reliable but is NOT guaranteed accurate by the MLS. Buyers are responsible for verifying the accuracy of all information and should investigate the data themselves or retain appropriate professionals. Information from sources other than the Listing Agent may have been included in the MLS data. Unless otherwise specified in writing, Broker/Agent has not and will not verify any information obtained from other sources. The Broker/Agent providing the information contained herein may or may not have been the Listing and/or Selling Agent.