$1,350,000 - 1081 E Gerard Avenue, Merced

  • 17.99Acres

Merced Home For Sale

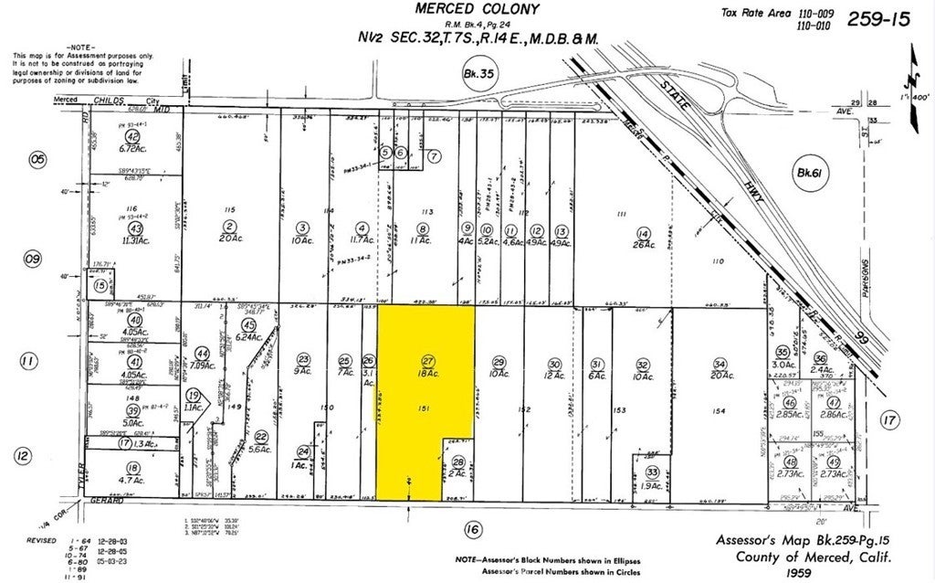
Here is an 18-acre walnut ranch with industrial development potential for sale! The chandler variety walnut orchard was planted in 2017 and the ranch is situated in southeast Merced. This parcel is close to city limits and Hwy 99/UC Merced Campus Expressway, an area anticipated for significant growth and development. The city sewer lines are accessible at Gerard Ave, with future City plans to extend additional utilities to Mission Ave to support new developments. The vicinity is experiencing robust expansion near Mission Ave and retail growth at the new Gateway Marketplace by Hwy 99. This land is zoned M-2 for heavy industrial/manufacturing uses and align with the City of Merced's General Plan for industrial development. The irrigation is currently via a double line drip irrigation system and the ranch is within the Merced Irrigation District for access to Class I district water. However, their current irrigation comes from a well situated across the road on the owner's separate ranch. The seller would be open to a well sharing agreement to continue existing irrigation. Make this ranch your homesite or plan for future development! The property is within the Merced Irrigation District-Urban Ground Water Sustainability Agency (MIUGSA). For more information on SGMA, go to www.sgma.water.ca.gov/portal/. The ownership is also open to selling all lots together.

Sales Agent

Sam Smith
  • Sam Smith
  • San Clemente Realtor ®
  • Phone: 949-204-5110
  • Cell: 949-204-5110
  • Contact Agent Now

Amenities

  • UtilitiesElectricity Available
  • ViewOrchard

Essential Information

  • MLS® #MC24180605
  • Price$1,350,000
  • Bathrooms0.00
  • Acres17.99
  • TypeLand
  • StatusActive
  • Listing AgentErnesto Ochoa
  • Listing OfficeKeller Williams Property Team

Exterior

  • Lot DescriptionAgricultural, Orchard(s)

Community Information

  • Address1081 E Gerard Avenue
  • CityMerced
  • CountyMerced
  • Zip Code95341

Additional Information

  • Date ListedAugust 28th, 2024
  • Days on Market509
  • ZoningM-2
  • Short SaleN
  • RE / Bank OwnedN

Similar Type Properties to MC24180605, 1081 E Gerard Avenue, Merced

Back to Results

Merced 71 Tyler Road

$1,499,000
Merced,
Baths
8 Days On Market
Community:

Merced 0 1/2 Henry Street

$1,473,000
Merced,
Baths
222 Days On Market
Community:

Merced Vassar Avenue

$1,488,000
Merced,
Baths
222 Days On Market
Community:

Merced 2051 Wardrobe

$1,200,000
Merced,
Baths
76 Days On Market
Community:

Similar Neighborhoods to "" in Merced, California

Back to Results

  • City:
    Merced
  • Price Range:
    $110,000 - $6,440,000
  • Current Listings:
    42
  • HOA Dues:
    $0
  • Average Price per Square Foot:
    $

Back to Search Results

Based on information from California Regional Multiple Listing Service, Inc. as of January 21st, 2026 at 1:46pm PST. This information is for your personal, non-commercial use and may not be used for any purpose other than to identify prospective properties you may be interested in purchasing. Display of MLS data is usually deemed reliable but is NOT guaranteed accurate by the MLS. Buyers are responsible for verifying the accuracy of all information and should investigate the data themselves or retain appropriate professionals. Information from sources other than the Listing Agent may have been included in the MLS data. Unless otherwise specified in writing, Broker/Agent has not and will not verify any information obtained from other sources. The Broker/Agent providing the information contained herein may or may not have been the Listing and/or Selling Agent.