$24,999 - Montello Drive, Lake Hughes

  • 0.18Acres

Lake Hughes Home For Sale

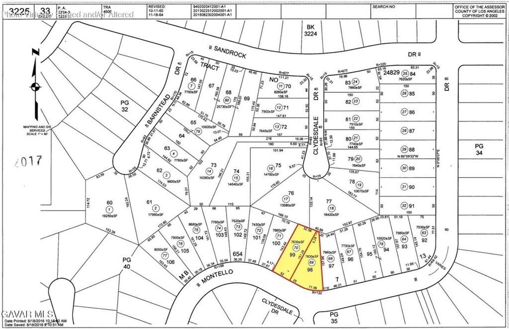
APN: 3225-033-069 & 3225-033-070 Coordinates: 34.659250, -118.387750 Two parcels for sale in LA County. These two lots are located on Motello Dr in Lake Hughes, CA. The two properties are side by side near other homes on this paved street. Excellent area and location to build a home

Sales Agent

Sam Smith
  • Sam Smith
  • San Clemente Realtor ®
  • Phone: 949-204-5110
  • Cell: 949-204-5110
  • Contact Agent Now

Amenities

  • UtilitiesWater Not Available
  • ViewHills, Lake

Essential Information

  • MLS® #IV26066841
  • Price$24,999
  • Bathrooms0.00
  • Acres0.18
  • TypeLand
  • StatusActive
  • Listing AgentNydia Del Rio
  • Listing OfficeHOME & LAND SOURCE

Exterior

  • Lot DescriptionIrregular Lot

Community Information

  • AddressMontello Drive
  • AreaLEL - Lake Elizabeth
  • CityLake Hughes
  • CountyLos Angeles
  • Zip Code93532

Additional Information

  • Date ListedMarch 27th, 2026
  • Days on Market6
  • ZoningLCR17500
  • Short SaleN
  • RE / Bank OwnedN

Similar Type Properties to IV26066841, Montello Drive, Lake Hughes

Back to Results

Lake Hughes Newview Drive

$27,000
Lake Hughes,
Baths
295 Days On Market
Community:

Similar Neighborhoods to "" in Lake Hughes, California

Back to Results

  • City:
    Lake Hughes
  • Price Range:
    $11,700 - $375,000
  • Current Listings:
    22
  • HOA Dues:
    $0
  • Average Price per Square Foot:
    $

Back to Search Results

Based on information from California Regional Multiple Listing Service, Inc. as of April 2nd, 2026 at 7:11pm PDT. This information is for your personal, non-commercial use and may not be used for any purpose other than to identify prospective properties you may be interested in purchasing. Display of MLS data is usually deemed reliable but is NOT guaranteed accurate by the MLS. Buyers are responsible for verifying the accuracy of all information and should investigate the data themselves or retain appropriate professionals. Information from sources other than the Listing Agent may have been included in the MLS data. Unless otherwise specified in writing, Broker/Agent has not and will not verify any information obtained from other sources. The Broker/Agent providing the information contained herein may or may not have been the Listing and/or Selling Agent.