$825,000 - 3597 Shaw Ranch Road, Pasadena

  • 0.97Acres

Pasadena Home For Sale

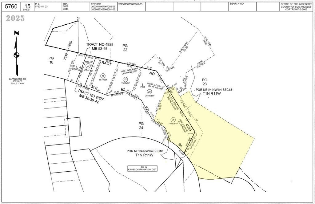
Rare opportunity to build two homes in Pasadena Glen! These two lots are offered together at this one price. With a combined area of almost one acre, there are very few land properties of this size available near LA. This lovely neighborhood was not affected by the Eaton Fire and retains its lush country feel. Nearby homes have mature green trees and landscaping. Despite being up in the hills away from it all, stores like Whole Foods are only a 10-minute drive. The first parcel, APN 5760015026, is approximately 0.42 acre and shares a gated paved driveway with the home at 3555 Shaw Ranch Rd to the west (not owned by the seller). That will save you money! Back in 1998, the previous owners poured a foundation, which remains. Buyers can investigate using the existing foundation or start anew. Detailed plans and reports for APN 5760015026 will be posted in the coming days. The adjacent lot to the east, APN 5760015021, is approximately 0.55 acre and has a flat open area, making it easy to build here. There are rescue horses on this lot. We invite you to walk both lots at any time; however, the seller kindly requests that you refrain from parking in the driveway, blocking the street, entering the pen, or feeding the horses. There is a voluntary HOA that charges just $75 annually, but no restrictive HOA-type rules here. Allowed uses are governed by county zoning, which is R1 Residential on both lots. Electricity and water are available. Septic needed. The listing agent has no information about building. Buyers will want to consult with their architect, builder, and the county (not the city) regarding all matters related to permitted uses and development. The owners will also consider selling either lot separately. Terms:  Cash or the seller may carry the loan with 30% down.

Sales Agent

Sam Smith
  • Sam Smith
  • San Clemente Realtor ®
  • Phone: 949-204-5110
  • Cell: 949-204-5110
  • Contact Agent Now

Amenities

  • UtilitiesElectricity Available, Phone Available, Water Available
  • ViewHills, Neighborhood, Panoramic

Essential Information

  • MLS® #IV25148616
  • Price$825,000
  • Bathrooms0.00
  • Acres0.97
  • TypeLand
  • StatusActive
  • Listing AgentTammy Tengs
  • Listing OfficeLAND22 REAL ESTATE

Exterior

  • Lot DescriptionCul-De-Sac, Gentle Sloping, Secluded, Sloped Up, Value In Land

Community Information

  • Address3597 Shaw Ranch Road
  • Area646 - Pasadena (NE)
  • CityPasadena
  • CountyLos Angeles
  • Zip Code91107

Additional Information

  • Date ListedJuly 2nd, 2025
  • Days on Market176
  • ZoningR1 Residential
  • Short SaleN
  • RE / Bank OwnedN

Similar Type Properties to IV25148616, 3597 Shaw Ranch Road, Pasadena

Back to Results

Pasadena 165 S Altadena Drive

$676,882
Pasadena,
Baths
313 Days On Market
Community:

Pasadena 2905 New York Drive

$675,000
Pasadena,
Baths
174 Days On Market
Community:

Pasadena 3880 Startouch Drive

$795,000
Pasadena,
Baths
178 Days On Market
Community: Not Applicable

Pasadena 1325 Medford Road

$749,000
Pasadena,
Baths
17 Days On Market
Community: Not Applicable

Similar Neighborhoods to "" in Pasadena, California

Back to Results

  • City:
    Pasadena
  • Price Range:
    $249,000 - $5,500,000
  • Current Listings:
    17
  • HOA Dues:
    $0
  • Average Price per Square Foot:
    $

Not Applicable

  • City:
    Pasadena
  • Price Range:
    $100,000 - $1,500,000
  • Current Listings:
    6
  • HOA Dues:
    $0
  • Average Price per Square Foot:
    $

Back to Search Results

Based on information from California Regional Multiple Listing Service, Inc. as of December 24th, 2025 at 10:45pm PST. This information is for your personal, non-commercial use and may not be used for any purpose other than to identify prospective properties you may be interested in purchasing. Display of MLS data is usually deemed reliable but is NOT guaranteed accurate by the MLS. Buyers are responsible for verifying the accuracy of all information and should investigate the data themselves or retain appropriate professionals. Information from sources other than the Listing Agent may have been included in the MLS data. Unless otherwise specified in writing, Broker/Agent has not and will not verify any information obtained from other sources. The Broker/Agent providing the information contained herein may or may not have been the Listing and/or Selling Agent.