$2,200,000 - Lakeshore Drive, Lake Elsinore

  • 12.37Acres

Lake Elsinore Home For Sale

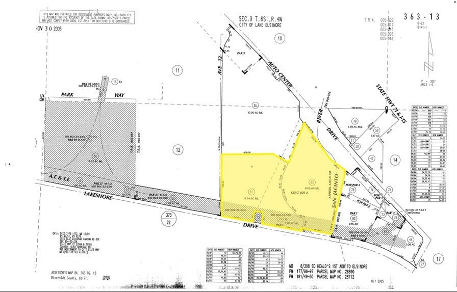
The subject property is approximately 12.37 acres in size and consists of two separate parcels known as Parcel A & Parcel B. There is currently a conservation agreement in place which renders the majority of Parcel A as undevelopable although there is still potential for mitigation value on Parcel A. Parcel B has approximately 650 feet of frontage along Lakeshore Dr which is broken up by a small EVMWD Pump Station. The property is relatively flat in topography and slopes toward the creek on the west end of the property which flows into the Lake Elsinore Channel. There are existing utility lines running along the south end of the property with both sewer and water existing in Lakeshore Dr. The property is located on Lakeshore Dr with traffic counts of 14,221 Cars Per Day. The site is also located just 0.4 miles from I-15 at Diamond Dr with prominent visibility from both I-15 northbound and southbound traffic, just 0.6 miles from Diamond Stadium, and within walking distance to multiple restaurants and retail shops.

Sales Agent

Sam Smith
  • Sam Smith
  • San Clemente Realtor ®
  • Phone: 949-204-5110
  • Cell: 949-204-5110
  • Contact Agent Now

Amenities

  • ViewHills

Essential Information

  • MLS® #IV25064272
  • Price$2,200,000
  • Bathrooms0.00
  • Acres12.37
  • TypeLand
  • StatusActive
  • Listing AgentEric Washle
  • Listing OfficeCOLDWELL BANKER COMMERCIAL SC

Exterior

  • Lot DescriptionElevenToFifteenUnitsAcre

Community Information

  • AddressLakeshore Drive
  • AreaSRCAR - Southwest Riverside County
  • CityLake Elsinore
  • CountyRiverside
  • Zip Code92530

Additional Information

  • Date ListedMarch 24th, 2025
  • Days on Market266
  • ZoningC2
  • Short SaleN
  • RE / Bank OwnedN

Similar Type Properties to IV25064272, Lakeshore Drive, Lake Elsinore

Back to Results

Lake Elsinore 17704 Grand Avenue

$2,500,000
Lake Elsinore,
Baths
528 Days On Market
Community:

Similar Neighborhoods to "" in Lake Elsinore, California

Back to Results

  • City:
    Lake Elsinore
  • Price Range:
    $5,000 - $12,500,000
  • Current Listings:
    315
  • HOA Dues:
    $4
  • Average Price per Square Foot:
    $

Back to Search Results

Based on information from California Regional Multiple Listing Service, Inc. as of December 15th, 2025 at 2:56am PST. This information is for your personal, non-commercial use and may not be used for any purpose other than to identify prospective properties you may be interested in purchasing. Display of MLS data is usually deemed reliable but is NOT guaranteed accurate by the MLS. Buyers are responsible for verifying the accuracy of all information and should investigate the data themselves or retain appropriate professionals. Information from sources other than the Listing Agent may have been included in the MLS data. Unless otherwise specified in writing, Broker/Agent has not and will not verify any information obtained from other sources. The Broker/Agent providing the information contained herein may or may not have been the Listing and/or Selling Agent.