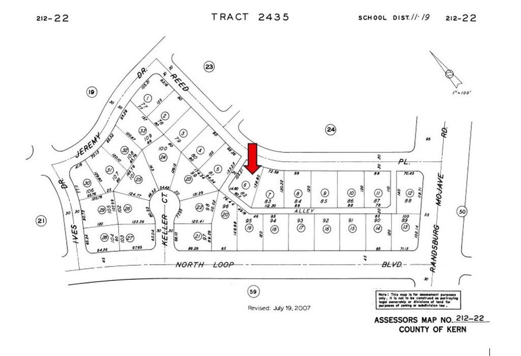
$21,000 - 219-043-15-00-1 Kent Drive, California City

  • 3.13Acres

California City Home For Sale

There is not an address associated with this parcel. What is reflected is the Parcel# 219-043-15-00-1 which is +/-3.13 Acres. Zoning is R4. Located in California City. Access via dirt Kent Dr.

Sales Agent

Sam Smith
  • Sam Smith
  • San Clemente Realtor ®
  • Phone: 949-204-5110
  • Cell: 949-204-5110
  • Contact Agent Now

Amenities

  • UtilitiesWater Not Available
  • ViewDesert

Essential Information

  • MLS® #IG25018922
  • Price$21,000
  • Bathrooms0.00
  • Acres3.13
  • TypeLand
  • StatusActive
  • Listing AgentAaron De Franco
  • Listing OfficeKELLER WILLIAMS REALTY

Exterior

  • Lot DescriptionDesert Back, Desert Front, Value In Land

Community Information

  • Address219-043-15-00-1 Kent Drive
  • AreaCAC - California City
  • CityCalifornia City
  • CountyKern
  • Zip Code93505

Additional Information

  • Date ListedJanuary 26th, 2025
  • Days on Market87
  • ZoningR4
  • Short SaleN
  • RE / Bank OwnedN

Similar Type Properties to IG25018922, 219-043-15-00-1 Kent Drive, California City

Back to Results

California City N/a

$18,399
California City,
Baths
515 Days On Market
Community:

California City Reed Place

$20,000
California City,
Baths
123 Days On Market
Community:

California City 274-121-03-00-8 Linsfield Boulevard

$21,685
California City,
Baths
259 Days On Market
Community:

California City Redwood Boulevard

$18,000
California City,
Baths
121 Days On Market
Community:

Similar Neighborhoods to "" in California City, California

Back to Results

  • City:
    California City
  • Price Range:
    $1,499 - $1,500,000
  • Current Listings:
    565
  • HOA Dues:
    $0
  • Average Price per Square Foot:
    $

Back to Search Results

Based on information from California Regional Multiple Listing Service, Inc. as of December 18th, 2025 at 6:35pm PST. This information is for your personal, non-commercial use and may not be used for any purpose other than to identify prospective properties you may be interested in purchasing. Display of MLS data is usually deemed reliable but is NOT guaranteed accurate by the MLS. Buyers are responsible for verifying the accuracy of all information and should investigate the data themselves or retain appropriate professionals. Information from sources other than the Listing Agent may have been included in the MLS data. Unless otherwise specified in writing, Broker/Agent has not and will not verify any information obtained from other sources. The Broker/Agent providing the information contained herein may or may not have been the Listing and/or Selling Agent.