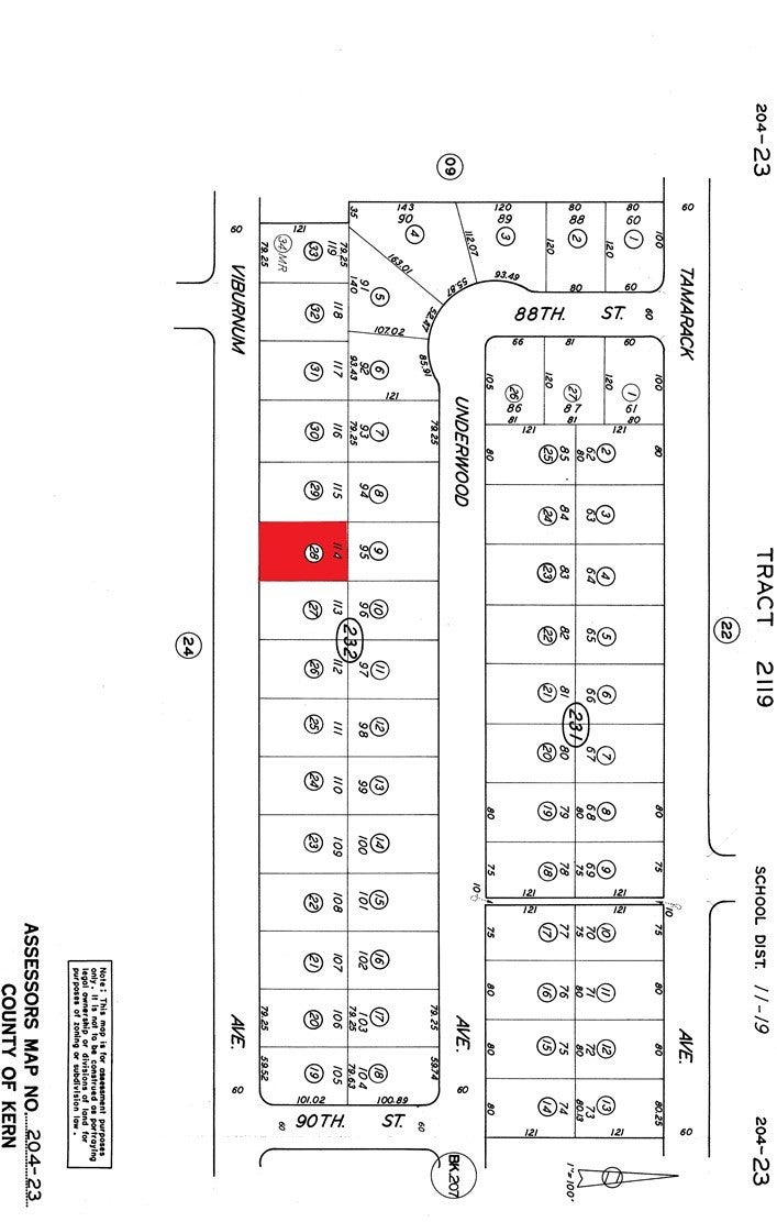
$20,000 - Viburnum, California City

  • 0.22Acres

California City Home Sale

Welcome to Viburnum Ave in the peaceful neighborhood of California City, CA. This 9583 sq ft lot provides the perfect opportunity to build your dream home in a serene and quiet environment. The possibilities are endless with this spacious lot, allowing you to create the perfect oasis for you and your family.

Sales Agent

Sam Smith
  • Sam Smith
  • San Clemente Realtor ®
  • Phone: 949-204-5110
  • Cell: 949-204-5110
  • Contact Agent Now

Amenities

  • UtilitiesNone, Electricity Available, Propane, Sewer Not Available
  • ViewNone

Essential Information

  • MLS® #GD25011758
  • Price$20,000
  • Bathrooms0.00
  • Acres0.22
  • TypeLand
  • StatusClosed
  • Listing AgentLawrence Ochsner
  • Listing OfficePrecise AV Realty

Additional Information

  • Date ListedJanuary 16th, 2025
  • Days on Market133
  • ZoningR-1
  • Short SaleN
  • RE / Bank OwnedN

Community Information

  • AddressViburnum
  • AreaCAC - California City
  • CityCalifornia City
  • CountyKern
  • Zip Code93505

Price Change History for Viburnum, California City, (MLS® #GD25011758)

Date Details Price Change
Closed
Pending (from Active)

Similar Type Properties to GD25011758, Viburnum, California City

Back to Results

California City Nipa Ave Near 92nd St

$22,500
California City,
Baths
194 Days On Market
Community:

California City Karen Ave Near Ethel St

$23,500
California City,
Baths
44 Days On Market
Community:

California City 8428 Charles Place

$16,000
California City,
Baths
1 Days On Market
Community:

California City Calhoun Dr & Trumbull St

$23,500
California City,
Baths
142 Days On Market
Community:

Similar Neighborhoods to "" in California City, California

Back to Results

  • City:
    California City
  • Price Range:
    $2,000 - $120,000
  • Current Listings:
    86
  • HOA Dues:
    $0
  • Average Price per Square Foot:
    $

Back to Search Results

Based on information from California Regional Multiple Listing Service, Inc. as of December 13th, 2025 at 7:41pm PST. This information is for your personal, non-commercial use and may not be used for any purpose other than to identify prospective properties you may be interested in purchasing. Display of MLS data is usually deemed reliable but is NOT guaranteed accurate by the MLS. Buyers are responsible for verifying the accuracy of all information and should investigate the data themselves or retain appropriate professionals. Information from sources other than the Listing Agent may have been included in the MLS data. Unless otherwise specified in writing, Broker/Agent has not and will not verify any information obtained from other sources. The Broker/Agent providing the information contained herein may or may not have been the Listing and/or Selling Agent.