$8,399 - 68023 Presswood, 29 Palms

  • 1.01Acres

29 Palms Home For Sale

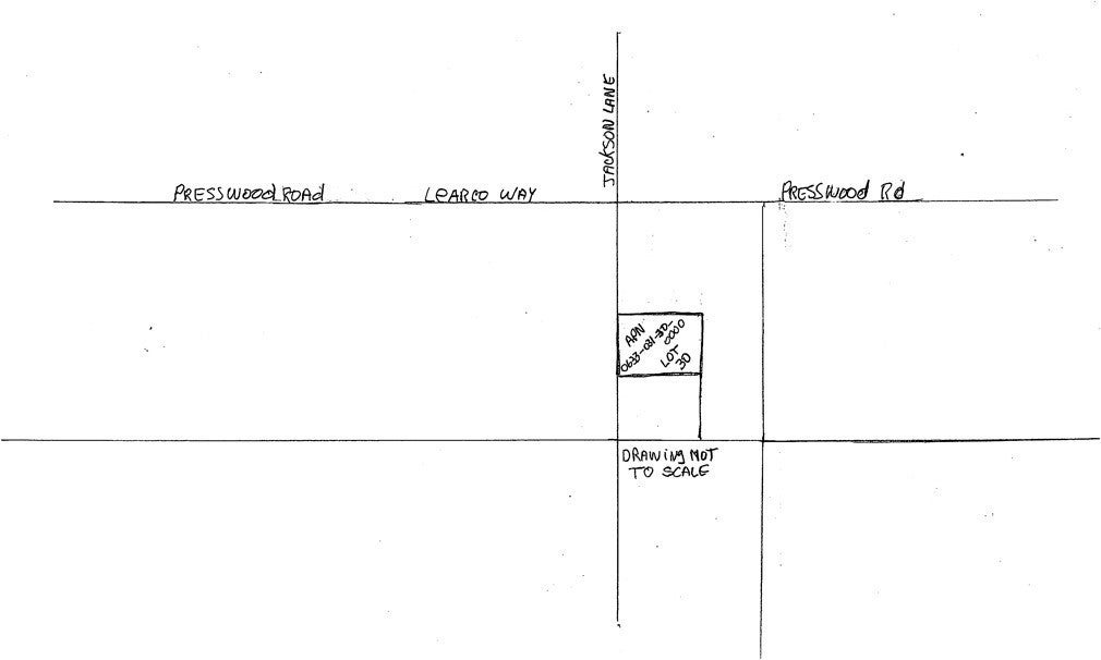
New Price for this well located lot in the coveted Area of Desert Heights, with amazing possibilities for development or investment; or just to enjoy with family or friends in your leisure time. The lot size offers 1.01 Acre or 43,995 sq.ft. approximately, of flat land, with front access on Jackson Rd. Its location is at a short distance from Joshua Tree National Park and the City of 29 Palms, San Bernardino County. Rural RL-5 Zoning. Please notice the address is not real. The lot has frontage access on Jackson Rd. located down from Presswood/Learco Way. Please don't miss this fabulous opportunity.

Sales Agent

Sam Smith
  • Sam Smith
  • San Clemente Realtor ®
  • Phone: 949-204-5110
  • Cell: 949-204-5110
  • Contact Agent Now

Amenities

  • UtilitiesNone, Sewer Not Available
  • ViewDesert, Mountain(s)

Essential Information

  • MLS® #BB25010900
  • Price$8,399
  • Bathrooms0.00
  • Acres1.01
  • TypeLand
  • StatusActive
  • Listing AgentClara Cruz
  • Listing OfficeBERKSHIRE HATHAWAY HOMESERVICES Crest Real Estate

Exterior

  • Lot DescriptionZeroToOneUnitAcre

Community Information

  • Address68023 Presswood
  • AreaDC710 - Desert Heights
  • City29 Palms
  • CountySan Bernardino
  • Zip Code92277

Additional Information

  • Date ListedJanuary 15th, 2025
  • Days on Market449
  • ZoningRL-5
  • Short SaleN
  • RE / Bank OwnedN

Price Change History for 68023 Presswood, 29 Palms, (MLS® #BB25010900)

Date Details Price Change
Price Reduced $8,399 $1,101 (11.59%)
Price Reduced (from $10,400) $9,500 $900 (8.65%)

Similar Type Properties to BB25010900, 68023 Presswood, 29 Palms

Back to Results

29 Palms 1234 Ward Lane

$8,500
29 Palms,
Baths
102 Days On Market
Community:

29 Palms Kellogg Avenue

$9,950
29 Palms,
Baths
592 Days On Market
Community:

29 Palms 82935 Maya Rada Road

$7,735
29 Palms,
Baths
109 Days On Market
Community:

29 Palms 1 Charlotte Avenue

$8,500
29 Palms,
Baths
59 Days On Market
Community:

Similar Neighborhoods to "" in 29 Palms, California

Back to Results

  • City:
    29 Palms
  • Price Range:
    $3,000 - $2,950,000
  • Current Listings:
    398
  • HOA Dues:
    $0
  • Average Price per Square Foot:
    $

Back to Search Results

Based on information from California Regional Multiple Listing Service, Inc. as of April 10th, 2026 at 12:36pm PDT. This information is for your personal, non-commercial use and may not be used for any purpose other than to identify prospective properties you may be interested in purchasing. Display of MLS data is usually deemed reliable but is NOT guaranteed accurate by the MLS. Buyers are responsible for verifying the accuracy of all information and should investigate the data themselves or retain appropriate professionals. Information from sources other than the Listing Agent may have been included in the MLS data. Unless otherwise specified in writing, Broker/Agent has not and will not verify any information obtained from other sources. The Broker/Agent providing the information contained herein may or may not have been the Listing and/or Selling Agent.