$2,500,000 - 6200 Crenshaw Boulevard, Los Angeles

  • 0.49Acres

Los Angeles Home For Sale

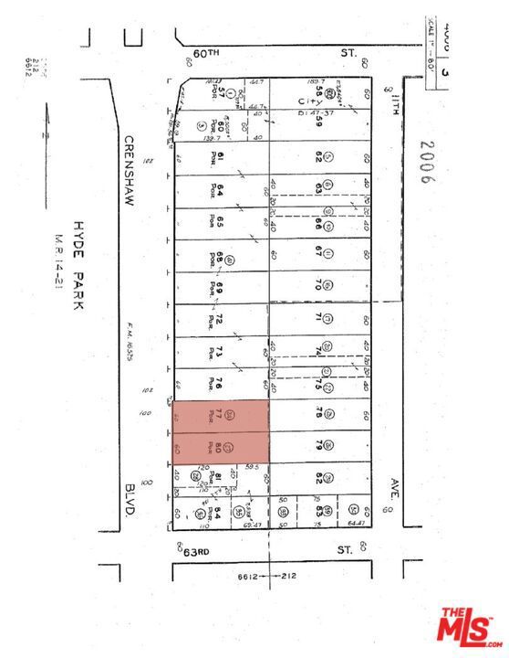
This 21,555-square-foot site boasts 120 linear feet of frontage along Crenshaw Blvd. and is located just two blocks from the Slauson/Crenshaw Metro stop. The property currently includes a vacant storage unit and a billboard situated at the southwestern corner of the lot. This flat parcel is designated as a Tier 3 Transit-Oriented Community (TOC) area, benefiting from density bonuses, reduced parking requirements, and setback allowances. The adjacent parcel, 6216 Crenshaw Blvd, parcel number4006-003-028, can also be purchased. This will add 4,800sfof land to the project increasing density and facilitating the build. Both lots total 26,355 square feet. Call listing agents for offering memorandum and additional info. Agent Remarks : Call listing agents for offering memorandum and additional info.

Sales Agent

Sam Smith
  • Sam Smith
  • San Clemente Realtor ®
  • Phone: 949-204-5110
  • Cell: 949-204-5110
  • Contact Agent Now

Amenities

  • ViewCity Lights

Essential Information

  • MLS® #26646917
  • Price$2,500,000
  • Bathrooms0.00
  • Acres0.49
  • TypeLand
  • StatusActive
  • Listing AgentWilliam James
  • Listing OfficeLyon Stahl Investment Real Estate, Inc.

Exterior

  • Lot DescriptionFlat, Rectangular Lot, Value In Land

Community Information

  • Address6200 Crenshaw Boulevard
  • AreaPHHT - Park Hills Heights
  • CityLos Angeles
  • CountyLos Angeles
  • Zip Code90043

Additional Information

  • Date ListedFebruary 11th, 2026
  • Days on Market58
  • ZoningLAC2
  • Short SaleN
  • RE / Bank OwnedN

Similar Type Properties to 26646917, 6200 Crenshaw Boulevard, Los Angeles

Back to Results

Los Angeles 5471 Crenshaw Boulevard

$2,985,000
Los Angeles,
Baths
87 Days On Market
Community:

Los Angeles 6524 Brynhurst Avenue

$2,399,999
Los Angeles,
Baths
22 Days On Market
Community:

Los Angeles 240 S Normandie Avenue

$2,399,000
Los Angeles,
Baths
317 Days On Market
Community:

Los Angeles 2743 W 8th Street

$2,300,000
Los Angeles,
Baths
9 Days On Market
Community:

Similar Neighborhoods to "" in Los Angeles, California

Back to Results

  • City:
    Los Angeles
  • Price Range:
    $1,000 - $80,000,000
  • Current Listings:
    451
  • HOA Dues:
    $0
  • Average Price per Square Foot:
    $

Back to Search Results

Based on information from California Regional Multiple Listing Service, Inc. as of April 10th, 2026 at 12:22pm PDT. This information is for your personal, non-commercial use and may not be used for any purpose other than to identify prospective properties you may be interested in purchasing. Display of MLS data is usually deemed reliable but is NOT guaranteed accurate by the MLS. Buyers are responsible for verifying the accuracy of all information and should investigate the data themselves or retain appropriate professionals. Information from sources other than the Listing Agent may have been included in the MLS data. Unless otherwise specified in writing, Broker/Agent has not and will not verify any information obtained from other sources. The Broker/Agent providing the information contained herein may or may not have been the Listing and/or Selling Agent.