$8,500 - 71531 Pioneer Trail, 29 Palms

  • 2.50Acres

29 Palms Home Sale

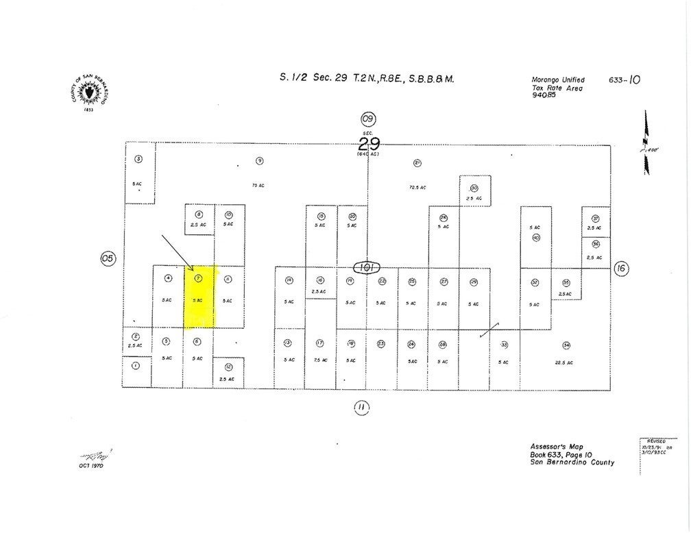
This tranquil 2.5-acre property (APN: 0633-291-08-0000) offers an impressive 331 feet of frontage on Pioneer Drive in 29 Palms, just off Pole Line Road and under 5 miles from the 29 Palms Highway (CA State Route 62). Nestled in the peaceful Desert Heights area, this lot provides breathtaking panoramic views and a sense of quiet solitude. With neighbors nearby, accessing utilities should be straightforward, making this the perfect canvas for your dream build. Ideally situated for nature enthusiasts and outdoor adventurers, this prime parcel is a gateway to the unparalleled beauty of Joshua Tree National Park and the vast Mojave Trails National Monument. Its proximity to these natural wonders, combined with a central location within 29 Palms, ensures easy access to countless activities such as stargazing, hiking, rock climbing, wildlife observation, bird watching, and viewing vibrant wildflowers. 29 Palms is celebrated for its mild winter climate and growing community appeal. This property is within walking distance of the Marine Corps Air Ground Combat Center (MGAGCC), providing a unique convenience for military families and service members. The area also boasts a rich array of cultural arts, events, local dining, and the warm hospitality that defines desert living. Don’t miss this incredible opportunity to own a piece of the serene Desert Heights landscape. Whether you’re planning to build your forever home or create a desert retreat, this parcel is the perfect foundation for your vision.

Sales Agent

Sam Smith
  • Sam Smith
  • San Clemente Realtor ®
  • Phone: 949-204-5110
  • Cell: 949-204-5110
  • Contact Agent Now

Amenities

  • ViewDesert, Hills, Panoramic

Essential Information

  • MLS® #OC24232700
  • Price$8,500
  • Bathrooms0.00
  • Acres2.50
  • TypeLand
  • StatusClosed
  • Listing AgentScott Vu
  • Listing OfficeNexus Commercial

Exterior

  • Lot DescriptionLot Over 40000 Sqft, Rectangular Lot

Community Information

  • Address71531 Pioneer Trail
  • AreaDC710 - Desert Heights
  • City29 Palms
  • CountySan Bernardino
  • Zip Code92277

Additional Information

  • Date ListedNovember 11th, 2024
  • Days on Market101
  • ZoningRL-5
  • Short SaleN
  • RE / Bank OwnedN

Price Change History for 71531 Pioneer Trail, 29 Palms, (MLS® #OC24232700)

Date Details Price Change
Closed
Pending (from Active)
Price Reduced (from $9,950) $8,500 $1,450 (14.57%)

Similar Type Properties to OC24232700, 71531 Pioneer Trail, 29 Palms

Back to Results

29 Palms Adobe Road

$9,599
29 Palms,
Baths
20 Days On Market
Community:

29 Palms El Sol Avenue

$9,500
29 Palms,
Baths
154 Days On Market
Community: Not Applicable-1

29 Palms Applegate

$10,000
29 Palms,
Baths
81 Days On Market
Community:

29 Palms Wades Road

$7,500
29 Palms,
Baths
5 Days On Market
Community: Not Applicable-1

Similar Neighborhoods to "" in 29 Palms, California

Back to Results

  • City:
    29 Palms
  • Price Range:
    $2,000 - $1,820,000
  • Current Listings:
    113
  • HOA Dues:
    $0
  • Average Price per Square Foot:
    $

Not Applicable-1

  • City:
    29 Palms
  • Price Range:
    $7,500 - $375,000
  • Current Listings:
    18
  • HOA Dues:
    $0
  • Average Price per Square Foot:
    $

Back to Search Results

Based on information from California Regional Multiple Listing Service, Inc. as of January 25th, 2026 at 2:15pm PST. This information is for your personal, non-commercial use and may not be used for any purpose other than to identify prospective properties you may be interested in purchasing. Display of MLS data is usually deemed reliable but is NOT guaranteed accurate by the MLS. Buyers are responsible for verifying the accuracy of all information and should investigate the data themselves or retain appropriate professionals. Information from sources other than the Listing Agent may have been included in the MLS data. Unless otherwise specified in writing, Broker/Agent has not and will not verify any information obtained from other sources. The Broker/Agent providing the information contained herein may or may not have been the Listing and/or Selling Agent.