$15,000 - Avenue K-8, Lancaster

  • 2.51Acres

Lancaster Home Sale

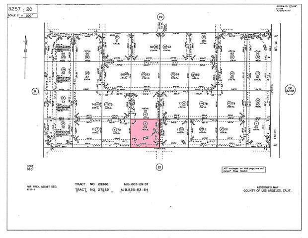
Just over 2.5 acres of land in Lancaster, in the Del Sur area. Tax records show the dimensions to be 328 feet by 334 feet. There is lots of open space here, and there are solar farms in the area. There are so many possibilities with this land! The land is being sold as part of a Trust, so we and the Successor Trustee have no knowledge of any aspects of the land in terms of utilities, surveys, etc. It is zoned Residential Agriculture and is on a dirt road. There is no sign on the property, it is located at the intersection of 103rd St W and W Ave K-8, on the southwest corner of that intersection. The best approach is to turn next to the house located at 43554 103rd St, and please use your navigation.

Sales Agent

Sam Smith
  • Sam Smith
  • San Clemente Realtor ®
  • Phone: 949-204-5110
  • Cell: 949-204-5110
  • Contact Agent Now

Amenities

  • ViewValley

Essential Information

  • MLS® #BB25152739
  • Price$15,000
  • Bathrooms0.00
  • Acres2.51
  • TypeLand
  • StatusClosed
  • Listing AgentGrace Miranda
  • Listing OfficeKeller Williams Realty World Media Center

Exterior

  • Lot DescriptionLot Over 40000 Sqft

Community Information

  • AddressAvenue K-8
  • AreaLAC - Lancaster
  • CityLancaster
  • CountyLos Angeles
  • Zip Code93536

Additional Information

  • Date ListedJuly 8th, 2025
  • Days on Market59
  • ZoningLCA121/2*
  • Short SaleN
  • RE / Bank OwnedN

Price Change History for Avenue K-8, Lancaster, (MLS® #BB25152739)

Date Details Price Change
Closed
Pending (from Active)
Price Reduced (from $25,000) $15,000 $10,000 (40.00%)

Similar Type Properties to BB25152739, Avenue K-8, Lancaster

Back to Results

Lancaster Cor Ave A Pav 102 Stw D

$15,000
Lancaster,
Baths
140 Days On Market
Community:

Lancaster Vac/cor Avenue A8 Trail /172 S

$12,000
Lancaster,
Baths
85 Days On Market
Community:

Lancaster Avenue E-10

$12,050
Lancaster,
Baths
46 Days On Market
Community:

Lancaster 24450 Lancaster Road

$15,000
Lancaster,
Baths
41 Days On Market
Community:

Similar Neighborhoods to "" in Lancaster, California

Back to Results

  • City:
    Lancaster
  • Price Range:
    $2,200 - $995,000
  • Current Listings:
    241
  • HOA Dues:
    $0
  • Average Price per Square Foot:
    $

Back to Search Results

Based on information from California Regional Multiple Listing Service, Inc. as of January 26th, 2026 at 6:35pm PST. This information is for your personal, non-commercial use and may not be used for any purpose other than to identify prospective properties you may be interested in purchasing. Display of MLS data is usually deemed reliable but is NOT guaranteed accurate by the MLS. Buyers are responsible for verifying the accuracy of all information and should investigate the data themselves or retain appropriate professionals. Information from sources other than the Listing Agent may have been included in the MLS data. Unless otherwise specified in writing, Broker/Agent has not and will not verify any information obtained from other sources. The Broker/Agent providing the information contained herein may or may not have been the Listing and/or Selling Agent.