$20,000 - E Avenue N-8, Palmdale

  • 2.56Acres

Palmdale Home For Sale

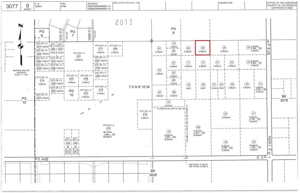
APN: 3077-009-056 Coordinates: 34.624000, -117.938972 2.56 acres for sale in LA County. This lot is located one Ave N-8 and 105th St E in Palmdale, CA. Zoning is PDA2, per county records.

Sales Agent

Sam Smith
  • Sam Smith
  • San Clemente Realtor ®
  • Phone: 949-204-5110
  • Cell: 949-204-5110
  • Contact Agent Now

Amenities

  • UtilitiesWater Not Available
  • ViewDesert, Hills

Essential Information

  • MLS® #IV25109916
  • Price$20,000
  • Bathrooms0.00
  • Acres2.56
  • TypeLand
  • StatusActive
  • Listing AgentNydia Del Rio
  • Listing OfficeHOME & LAND SOURCE

Exterior

  • Lot DescriptionAgricultural

Community Information

  • AddressE Avenue N-8
  • AreaPLM - Palmdale
  • CityPalmdale
  • CountyLos Angeles
  • Zip Code93591

Additional Information

  • Date ListedMay 16th, 2025
  • Days on Market228
  • ZoningPDA2*
  • Short SaleN
  • RE / Bank OwnedN

Similar Type Properties to IV25109916, E Avenue N-8, Palmdale

Back to Results

Palmdale 0 108 Str. E & Avenue N-12

$19,000
Palmdale,
Baths
228 Days On Market
Community:

Palmdale E Avenue N

$18,995
Palmdale,
Baths
232 Days On Market
Community:

Palmdale 45 E 195th Street

$18,000
Palmdale,
Baths
519 Days On Market
Community:

Palmdale 108th St E/apprx Ave L10

$22,850
Palmdale,
Baths
492 Days On Market
Community:

Similar Neighborhoods to "" in Palmdale, California

Back to Results

  • City:
    Palmdale
  • Price Range:
    $6,999 - $40,000,000
  • Current Listings:
    364
  • HOA Dues:
    $1
  • Average Price per Square Foot:
    $

Back to Search Results

Based on information from California Regional Multiple Listing Service, Inc. as of December 30th, 2025 at 11:21am PST. This information is for your personal, non-commercial use and may not be used for any purpose other than to identify prospective properties you may be interested in purchasing. Display of MLS data is usually deemed reliable but is NOT guaranteed accurate by the MLS. Buyers are responsible for verifying the accuracy of all information and should investigate the data themselves or retain appropriate professionals. Information from sources other than the Listing Agent may have been included in the MLS data. Unless otherwise specified in writing, Broker/Agent has not and will not verify any information obtained from other sources. The Broker/Agent providing the information contained herein may or may not have been the Listing and/or Selling Agent.