$59,000 - Worcester, Cambria
- 0.08Acres
Cambria Home For Sale
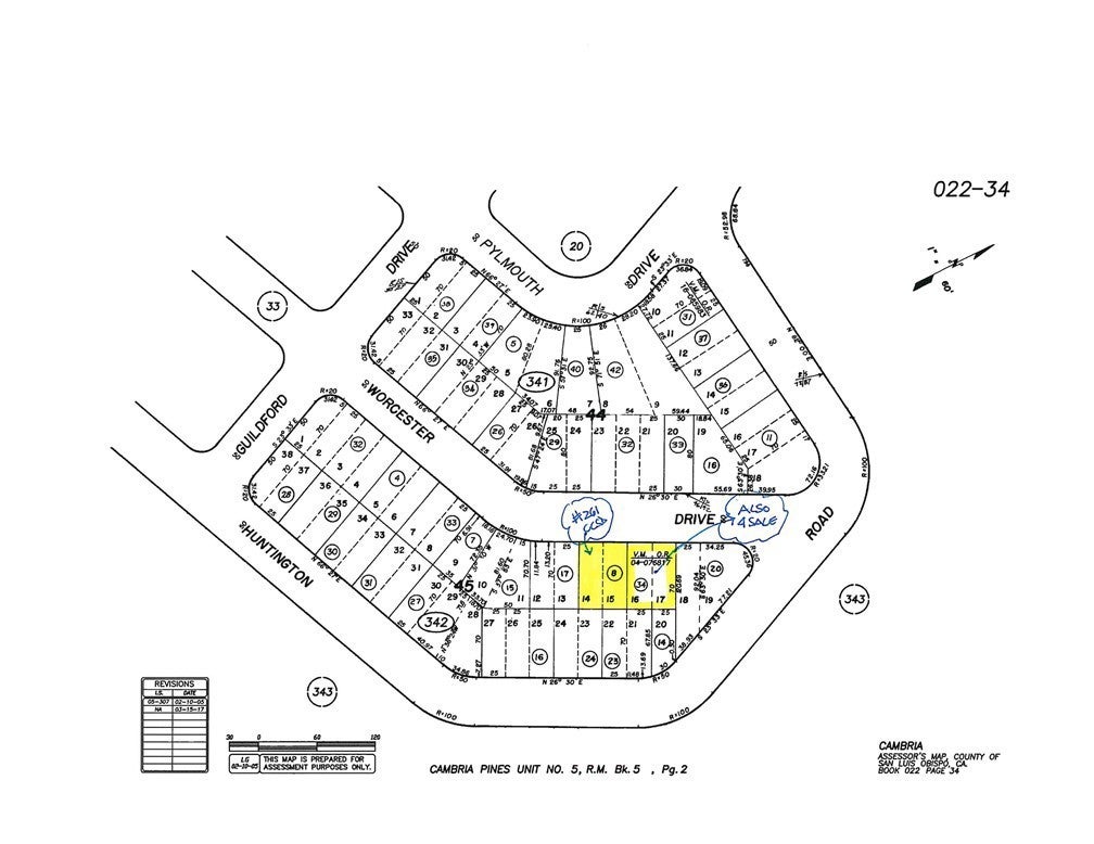
Park Hill double lot, 50'x70' includes #261 on CCSD water wait list. The adjoining double lot also for sale. Possible 4 lot parcel with 2 water positions! Located close to the 400+ acre Fiscalini Ranch Preserve and not far to the beach, West Village and Moonstone Beach Drive. Buy and Hold for now until the current building moratorium for new construction is lifted. Check CCSD and county websites (cambriacsd.org & slocounty.ca.gov) for info on the moratorium & allowable uses for property. Price Reduced! Now Offered for $59,000, Owner May Carry.
Sales Agent
- Sam Smith
- San Clemente Realtor ®
- Phone: 949-204-5110
- Cell: 949-204-5110
- Contact Agent Now
Amenities
- ViewMountain(s), Trees/Woods
Essential Information
- MLS® #SC23226273
- Price$59,000
- Bathrooms0.00
- Acres0.08
- TypeLand
- Sub-TypeWater Position With Land
- StatusActive
- Listing AgentJack Posemsky
- Listing OfficeJack Posemsky Real Estate
Exterior
- Lot DescriptionSloped Down
Community Information
- AddressWorcester
- AreaCAMB - Cambria
- SubdivisionPark Hill(460)
- CityCambria
- CountySan Luis Obispo
- Zip Code93428
Additional Information
- Date ListedDecember 14th, 2023
- Days on Market843
- ZoningRSF
- Short SaleN
- RE / Bank OwnedN
Price Change History for Worcester, Cambria, (MLS® #SC23226273)
| Date | Details | Price | Change |
|---|---|---|---|
| Price Reduced (from $65,000) | $59,000 | $6,000 (9.23%) |
Similar Type Properties to SC23226273, Worcester, Cambria
Back to ResultsCambria Worcester Drive
Cambria 1815 Stuart Street
Cambria Hillcrest Drive
Cambria 1865 Dreydon Avenue
Similar Neighborhoods to "Park Hill(460)" in Cambria, California
Back to ResultsPark Hill(460)
- City:
- Cambria
- Price Range:
- $59,000 - $429,000
- Current Listings:
- 3
- HOA Dues:
- $0
- Average Price per Square Foot:
- $
Lodge Hill(430)
- City:
- Cambria
- Price Range:
- $6,900 - $399,000
- Current Listings:
- 35
- HOA Dues:
- $0
- Average Price per Square Foot:
- $
Pine Knolls Estates(470)
- City:
- Cambria
- Price Range:
- $10,000 - $89,900
- Current Listings:
- 3
- HOA Dues:
- $0
- Average Price per Square Foot:
- $
Based on information from California Regional Multiple Listing Service, Inc. as of April 5th, 2026 at 1:48am PDT. This information is for your personal, non-commercial use and may not be used for any purpose other than to identify prospective properties you may be interested in purchasing. Display of MLS data is usually deemed reliable but is NOT guaranteed accurate by the MLS. Buyers are responsible for verifying the accuracy of all information and should investigate the data themselves or retain appropriate professionals. Information from sources other than the Listing Agent may have been included in the MLS data. Unless otherwise specified in writing, Broker/Agent has not and will not verify any information obtained from other sources. The Broker/Agent providing the information contained herein may or may not have been the Listing and/or Selling Agent.













