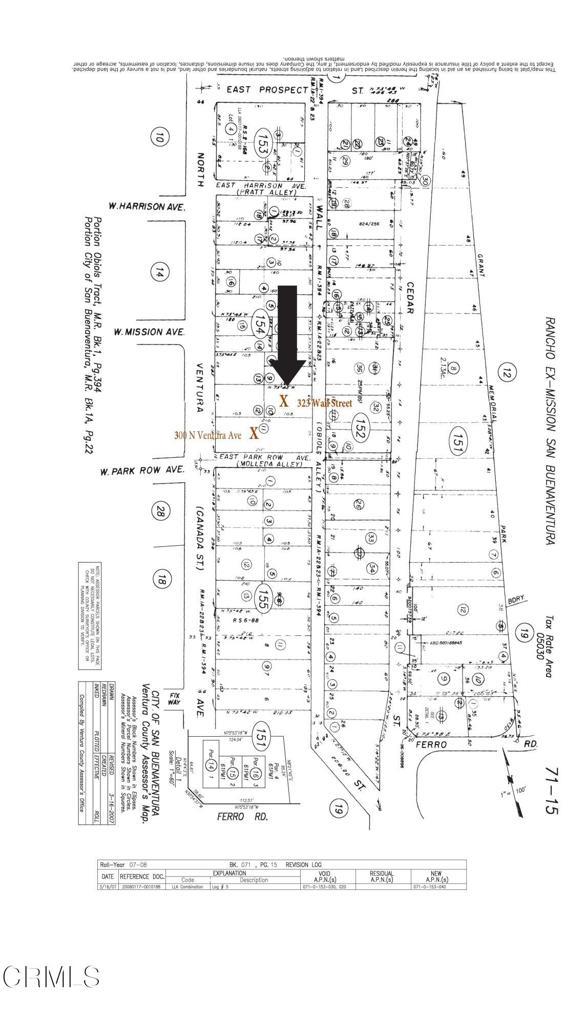
$755,000 - 323 Wall Street, Ventura
- 0.16Acres
Ventura Home For Sale
Build your home on Wall Street! Build your home here, or a duplex or possibly a triplex.Current zoning for the property is multifamily R-3-5. Density per existing zoning is 1unit/2,400 sq ft of land area, which would allow 2.95 units (if City rounds up, then this would allow for a triplex), with a height of 3 Stories, maximum 45 feet.The General Plan Update, nearing completion, designates property as Mixed Use 3. Residential density per the upcoming general plan is 30 residential units per acre, which the City's stated objective of 4.88 units (if City rounds up, then this would allow for 5 units), with a maximum height of 45 feet.Wall Street is a quiet residential street two blocks north of Main Street - and a short distance from the beach! Great location for future appreciation.Lot is flat and ready to be built on - all utilities are in the street. Take advantage of this opportunity to build one or more than one unit in an up-and-coming part of Ventura. Also, there was a previous home on this lot. There may be a water lateral/meter and sewer lateral in place. Also, there may be a school tax credit for the previous structure - Buyer to investigate any benefits from previous structure and conduct their own due diligence.The listing broker is the owner of this property.
Sales Agent
- Sam Smith
- San Clemente Realtor ®
- Phone: 949-204-5110
- Cell: 949-204-5110
- Contact Agent Now
Amenities
- ViewNone
Essential Information
- MLS® #V1-30175
- Price$755,000
- Bathrooms0.00
- Acres0.16
- TypeLand
- StatusActive
- Listing AgentDoug Michie
- Listing OfficeVentura Commercial Real Estate
Exterior
- Lot DescriptionLevel, Sprinklers None
Community Information
- Address323 Wall Street
- AreaVTU - Ventura
- SubdivisionVentura Ave - 0208
- CityVentura
- CountyVentura
- Zip Code93001
Additional Information
- Date ListedMay 24th, 2025
- Days on Market208
- ZoningR-3
- Short SaleN
- RE / Bank OwnedN
Similar Type Properties to V1-30175, 323 Wall Street, Ventura
Back to ResultsVentura 320 N Ventura Avenue
Ventura 1918 Hillcrest Drive
Ventura Cedar Street
Ventura 1690 Buena Vista Street
Similar Neighborhoods to "Ventura Ave - 0208" in Ventura, California
Back to ResultsVentura Ave - 0208
- City:
- Ventura
- Price Range:
- $745,000 - $755,000
- Current Listings:
- 2
- HOA Dues:
- $0
- Average Price per Square Foot:
- $
Hobson Heights - 0267
- City:
- Ventura
- Price Range:
- $595,000 - $695,000
- Current Listings:
- 2
- HOA Dues:
- $0
- Average Price per Square Foot:
- $
Ventura Beach South: Other (23)
- City:
- Ventura
- Price Range:
- $699,000 - $699,000
- Current Listings:
- 1
- HOA Dues:
- $0
- Average Price per Square Foot:
- $
Based on information from California Regional Multiple Listing Service, Inc. as of December 18th, 2025 at 5:56am PST. This information is for your personal, non-commercial use and may not be used for any purpose other than to identify prospective properties you may be interested in purchasing. Display of MLS data is usually deemed reliable but is NOT guaranteed accurate by the MLS. Buyers are responsible for verifying the accuracy of all information and should investigate the data themselves or retain appropriate professionals. Information from sources other than the Listing Agent may have been included in the MLS data. Unless otherwise specified in writing, Broker/Agent has not and will not verify any information obtained from other sources. The Broker/Agent providing the information contained herein may or may not have been the Listing and/or Selling Agent.







