$59,900 - Hillcrest Drive, Cambria
- 0.32Acres
Cambria Home For Sale
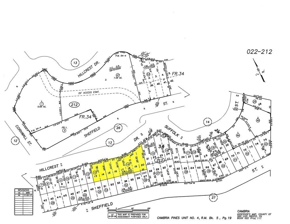
Ocean & Canyon View 8 lot parcel (.32 acre+-) includes #519 on CCSD water wait list. There are distant ocean views looking north west towards Moonstone Beach if a few trees were trimmed. Drive up Hillcrest Dr past Nitt Witt Ridge and just about to Suffolk St & you'll find this large property on the edge of Pine Knolls Estates. Bring your imagination to one day build your Big Sur Style Treehouse in this unique location overlooking a pine forest canyon. Paved street, walking distance to West Village and local restaurants. No homes on either side provide a private sanctuary among the trees. Buy and Hold for now until the current building moratorium for new construction is lifted. Check CCSD and county websites (cambriacsd.org & slocounty.ca.gov) for info on the moratorium & allowable uses for property. Offered for $59,900.
Sales Agent
- Sam Smith
- San Clemente Realtor ®
- Phone: 949-204-5110
- Cell: 949-204-5110
- Contact Agent Now
Amenities
- ViewCanyon, Ocean, Trees/Woods
Essential Information
- MLS® #SC22073549
- Price$59,900
- Bathrooms0.00
- Acres0.32
- TypeLand
- Sub-TypeWater Position With Land
- StatusActive
- Listing AgentJack Posemsky
- Listing OfficeJack Posemsky Real Estate
Exterior
- Lot DescriptionSloped Down, Paved, Steep Slope
Community Information
- AddressHillcrest Drive
- AreaCAMB - Cambria
- SubdivisionPine Knolls Estates(470)
- CityCambria
- CountySan Luis Obispo
- Zip Code93428
Additional Information
- Date ListedApril 12th, 2022
- Days on Market1341
- ZoningRSF
- Short SaleN
- RE / Bank OwnedN
Price Change History for Hillcrest Drive, Cambria, (MLS® #SC22073549)
| Date | Details | Price | Change |
|---|---|---|---|
| Price Increased (from $55,000) | $59,900 | $4,900 (8.91%) |
Similar Type Properties to SC22073549, Hillcrest Drive, Cambria
Back to ResultsCambria Pineridge Drive
Cambria Worcester Drive
Cambria Kenneth Drive
Cambria Pickwick Lane
Similar Neighborhoods to "Pine Knolls Estates(470)" in Cambria, California
Back to ResultsTop Of The World(2170)
- City:
- Cambria
- Price Range:
- $57,900 - $479,000
- Current Listings:
- 2
- HOA Dues:
- $0
- Average Price per Square Foot:
- $
Park Hill(460)
- City:
- Cambria
- Price Range:
- $65,000 - $459,000
- Current Listings:
- 2
- HOA Dues:
- $0
- Average Price per Square Foot:
- $
Lodge Hill(430)
- City:
- Cambria
- Price Range:
- $6,900 - $1,100,000
- Current Listings:
- 35
- HOA Dues:
- $0
- Average Price per Square Foot:
- $
Based on information from California Regional Multiple Listing Service, Inc. as of December 13th, 2025 at 7:25pm PST. This information is for your personal, non-commercial use and may not be used for any purpose other than to identify prospective properties you may be interested in purchasing. Display of MLS data is usually deemed reliable but is NOT guaranteed accurate by the MLS. Buyers are responsible for verifying the accuracy of all information and should investigate the data themselves or retain appropriate professionals. Information from sources other than the Listing Agent may have been included in the MLS data. Unless otherwise specified in writing, Broker/Agent has not and will not verify any information obtained from other sources. The Broker/Agent providing the information contained herein may or may not have been the Listing and/or Selling Agent.



















