$849,000 - 82250 64th Avenue, Thermal
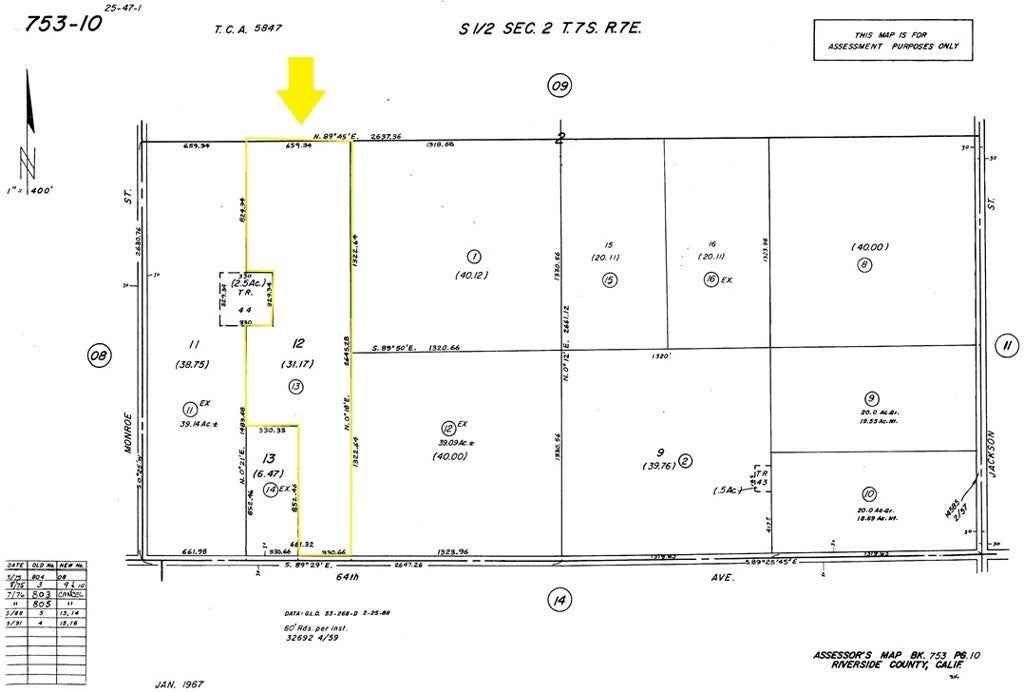
- 31.17Acres
Thermal Home For Sale
Discover a rare 31.17-acre opportunity in the growing Thermal/Mecca corridor. This expansive parcel offers flat, usable land with panoramic desert and mountain views, located within the Vista Santa Rosa area and surrounded by agricultural, ranch, and rural residential uses. The property is held in undivided fractional interests, and the sale will convey the combined ownership interests of the sellers, representing approximately 50% of the total ownership. This is an excellent opportunity for investors familiar with undivided interest acquisitions, co-ownership structures, or long-term land positioning. The property currently shows unpermitted residential structures placed by other co-owners; buyers are advised to conduct their own due diligence with Riverside County regarding permits, future use, subdivision potential, utilities, and compliance requirements. The parcel is officially classified by the County Assessor as vacant residential desert land (W-2 Controlled Development Area), offering flexibility for agricultural, rural residential, or future development possibilities subject to County approval. A unique chance to acquire a significant interest in a large landholding at a price that reflects the current shared-ownership structure. Ideal for investors, land bankers, or buyers seeking strategic positioning in an area experiencing steady growth and infrastructure expansion.
Sales Agent
- Sam Smith
- San Clemente Realtor ®
- Phone: 949-204-5110
- Cell: 949-204-5110
- Contact Agent Now
Amenities
- ViewHills, Mountain(s)
Essential Information
- MLS® #PW25087617
- Price$849,000
- Bathrooms0.00
- Acres31.17
- TypeLand
- StatusActive
- Listing AgentMiguel Rico
- Listing OfficeCentury 21 Masters
Exterior
- Lot DescriptionAgricultural, Level, ThirtyOneToThirtyFiveUnitsAcre
Community Information
- Address82250 64th Avenue
- Area316 - Thermal
- SubdivisionVista Santa Rosa (31601)
- CityThermal
- CountyRiverside
- Zip Code92254
Additional Information
- Date ListedApril 2nd, 2025
- Days on Market351
- ZoningW-2
- Short SaleN
- RE / Bank OwnedN
Price Change History for 82250 64th Avenue, Thermal, (MLS® #PW25087617)
| Date | Details | Price | Change |
|---|---|---|---|
| Price Increased | $849,000 | $519,002 (157.27%) | |
| Price Reduced | $329,998 | $10,000 (2.94%) | |
| Price Reduced | $339,998 | $10,000 (2.86%) | |
| Price Reduced | $349,998 | $9,901 (2.75%) | |
| Price Reduced | $359,899 | $19,000 (5.01%) | |
| Show More (3) | |||
| Price Reduced | $378,899 | $19,981 (5.01%) | |
| Price Reduced | $398,880 | $21,008 (5.00%) | |
| Price Reduced (from $849,000) | $419,888 | $429,112 (50.54%) | |
Similar Type Properties to PW25087617, 82250 64th Avenue, Thermal
Back to ResultsThermal Apn 749230002
Thermal Monroe Street
Thermal 64100 Jackson Street
Thermal Monroe St & Ave 58
Similar Neighborhoods to "Vista Santa Rosa (31601)" in Thermal, California
Back to ResultsVista Santa Rosa (31601)
- City:
- Thermal
- Price Range:
- $7,000 - $1,100,000
- Current Listings:
- 34
- HOA Dues:
- $0
- Average Price per Square Foot:
- $
Not Applicable-1
- City:
- Thermal
- Price Range:
- $5,000 - $30,000,000
- Current Listings:
- 86
- HOA Dues:
- $0
- Average Price per Square Foot:
- $
Vista Santa Rosa
- City:
- Thermal
- Price Range:
- $450,000 - $9,650,000
- Current Listings:
- 11
- HOA Dues:
- $0
- Average Price per Square Foot:
- $
Based on information from California Regional Multiple Listing Service, Inc. as of April 7th, 2026 at 1:56am PDT. This information is for your personal, non-commercial use and may not be used for any purpose other than to identify prospective properties you may be interested in purchasing. Display of MLS data is usually deemed reliable but is NOT guaranteed accurate by the MLS. Buyers are responsible for verifying the accuracy of all information and should investigate the data themselves or retain appropriate professionals. Information from sources other than the Listing Agent may have been included in the MLS data. Unless otherwise specified in writing, Broker/Agent has not and will not verify any information obtained from other sources. The Broker/Agent providing the information contained herein may or may not have been the Listing and/or Selling Agent.









