$14,500 - 22494 Mojave River Road, Cedarpines Park
- 0.22Acres
Cedarpines Park Home For Sale
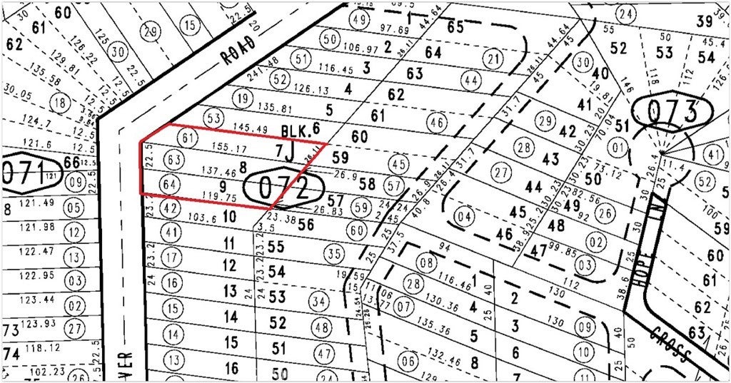
Here's a little slice of "off the grid" land that's easy to get to, but feels like you're in the middle of nowhere. This is actually 3 tax parcels side by side, totaling 9,675 square feet. There is a bluff at the road, but once you're atop that, the slope is more gentle and could be a great building spot. There is water in the road a ways up the street, as there used to be a home there, but the Buyer should check on the water situation with the Cedar Pines Park Mutual Water Company. There is a moratorium on new hookups to their system, which will likely preclude any new hookups there over the next few years. Utilities are nearby, but the buyer should check with the appropriate suppliers to inquire about possible hookups. This is for the person who really wants to get away from it all. It's a beautiful spot, and if all you're looking for is a spot to get away from it all occasionally, this might do nicely. Use Google Maps to locate these coordinates: Long: 34.260431 / Lat: -117.315873. That will put you at the NW corner of the property on Mojave River Road.
Sales Agent
- Sam Smith
- San Clemente Realtor ®
- Phone: 949-204-5110
- Cell: 949-204-5110
- Contact Agent Now
Amenities
- ViewTrees/Woods
Essential Information
- MLS® #IG25160983
- Price$14,500
- Bathrooms0.00
- Acres0.22
- TypeLand
- StatusActive
- Listing AgentJanet Stevens-moore
- Listing OfficeBRUIN TROJAN REALTORS, INC
Exterior
- Lot DescriptionGentle Sloping, Irregular Lot, Secluded, Sloped Up, Steep Slope
Community Information
- Address22494 Mojave River Road
- Area286 - Crestline Area
- SubdivisionCedar Pines Park (CEPP)
- CityCedarpines Park
- CountySan Bernardino
- Zip Code92322
Additional Information
- Date ListedJuly 16th, 2025
- Days on Market270
- ZoningCF/RS-1
- Short SaleN
- RE / Bank OwnedN
Price Change History for 22494 Mojave River Road, Cedarpines Park, (MLS® #IG25160983)
| Date | Details | Price | Change |
|---|---|---|---|
| Price Increased (from $4,499) | $14,500 | $10,001 (222.29%) |
Similar Type Properties to IG25160983, 22494 Mojave River Road, Cedarpines Park
Back to ResultsCedarpines Park 35 Spring Drive
Cedarpines Park 787 Burnt
Cedarpines Park Burnt Mill Canyon
Cedarpines Park 20 Burnt Mill Canyon Road
Similar Neighborhoods to "Cedar Pines Park (CEPP)" in Cedarpines Park, California
Back to ResultsCedar Pines Park (cepp)
- City:
- Cedarpines Park
- Price Range:
- $2,000 - $359,000
- Current Listings:
- 42
- HOA Dues:
- $0
- Average Price per Square Foot:
- $
Crestline (cres)
- City:
- Cedarpines Park
- Price Range:
- $7,000 - $12,000
- Current Listings:
- 2
- HOA Dues:
- $0
- Average Price per Square Foot:
- $
Based on information from California Regional Multiple Listing Service, Inc. as of April 15th, 2026 at 12:55pm PDT. This information is for your personal, non-commercial use and may not be used for any purpose other than to identify prospective properties you may be interested in purchasing. Display of MLS data is usually deemed reliable but is NOT guaranteed accurate by the MLS. Buyers are responsible for verifying the accuracy of all information and should investigate the data themselves or retain appropriate professionals. Information from sources other than the Listing Agent may have been included in the MLS data. Unless otherwise specified in writing, Broker/Agent has not and will not verify any information obtained from other sources. The Broker/Agent providing the information contained herein may or may not have been the Listing and/or Selling Agent.













