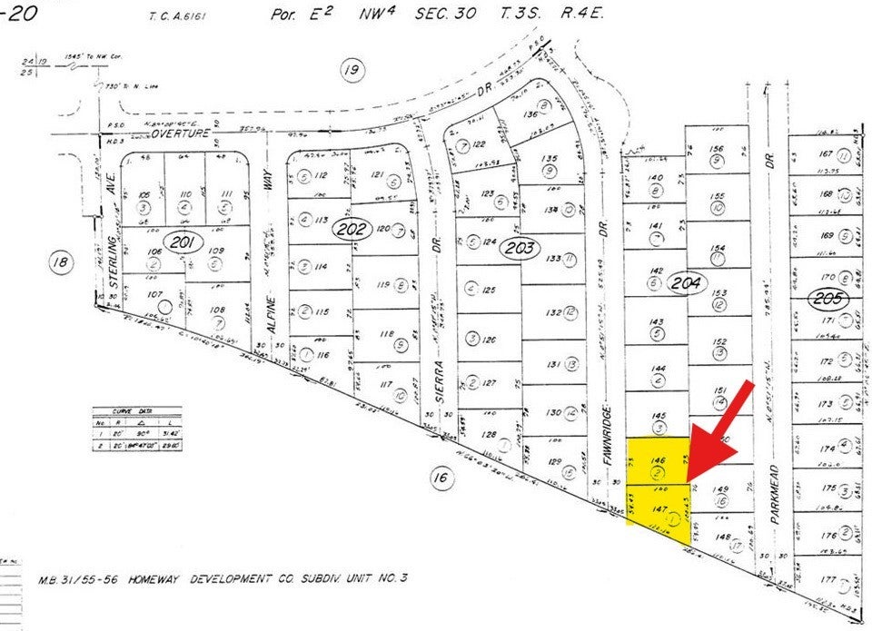
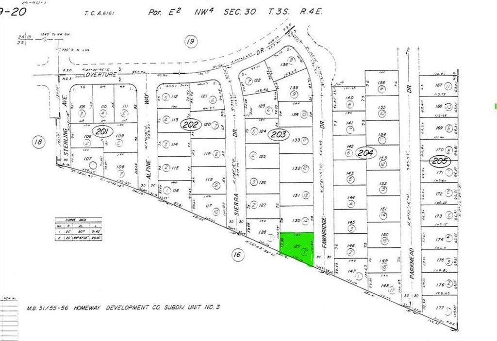
$57,500 - Fawnridge Drive, Palm Springs
- 0.17Acres
Palm Springs Home For Sale
Beautiful Buildable Lot in Palm Springs – Prime Cul-de-Sac Location. Fantastic opportunity to build your dream home in Palm Springs! This 7,405 sqft lot sits on a quiet cul-de-sac, offering privacy, mountain views and quick access to all the best the city has to offer. Zoned SFR with public utilities available, this parcel is ready for development and comes with valuable reports already completed—saving you time and money. Even better — the adjacent lot is also available, and sellers are offering a significant discount if both parcels are purchased together. Perfect for a larger custom compound, investment, or future development. Included with the lot: Structural Calculations Geotechnical Engineering Report (includes pool + ADU readiness) Building Energy Analysis Report Buyer and buyer’s agent to verify all zoning, requirements, and available utilities. Don’t miss this rare Palm Springs opportunity to build with confidence from day one. ADJACENT LOT MLS#CV25268653
Sales Agent
- Sam Smith
- San Clemente Realtor ®
- Phone: 949-204-5110
- Cell: 949-204-5110
- Contact Agent Now
Amenities
- UtilitiesCable Available, Electricity Available, Phone Available, Sewer Available, Water Available
- ViewDesert, Mountain(s), Panoramic, Rocks
Essential Information
- MLS® #CV25268461
- Price$57,500
- Bathrooms0.00
- Acres0.17
- TypeLand
- StatusActive
- Listing AgentArturo Martinez
- Listing OfficeQuality Homes & Loans, Inc.
Exterior
- Lot DescriptionCul-De-Sac
Community Information
- AddressFawnridge Drive
- Area331 - North End Palm Springs
- Subdivisionother
- CityPalm Springs
- CountyRiverside
- Zip Code92262
Additional Information
- Date ListedDecember 1st, 2025
- Days on Market20
- ZoningR-1
- Short SaleN
- RE / Bank OwnedN
Similar Type Properties to CV25268461, Fawnridge Drive, Palm Springs
Back to ResultsPalm Springs Fawnridge Drive
Palm Springs 60195 Holly Drive
Palm Springs 60170 Overture Drive
Palm Springs Cherry Cove
Similar Neighborhoods to "other" in Palm Springs, California
Back to ResultsOther
- City:
- Palm Springs
- Price Range:
- $57,500 - $57,500
- Current Listings:
- 2
- HOA Dues:
- $0
- Average Price per Square Foot:
- $
San Jacinto Cove
- City:
- Palm Springs
- Price Range:
- $59,000 - $75,900
- Current Listings:
- 8
- HOA Dues:
- $0
- Average Price per Square Foot:
- $
San Jacinto Cove (33126)
- City:
- Palm Springs
- Price Range:
- $64,000 - $90,000
- Current Listings:
- 3
- HOA Dues:
- $0
- Average Price per Square Foot:
- $
Based on information from California Regional Multiple Listing Service, Inc. as of December 21st, 2025 at 9:20am PST. This information is for your personal, non-commercial use and may not be used for any purpose other than to identify prospective properties you may be interested in purchasing. Display of MLS data is usually deemed reliable but is NOT guaranteed accurate by the MLS. Buyers are responsible for verifying the accuracy of all information and should investigate the data themselves or retain appropriate professionals. Information from sources other than the Listing Agent may have been included in the MLS data. Unless otherwise specified in writing, Broker/Agent has not and will not verify any information obtained from other sources. The Broker/Agent providing the information contained herein may or may not have been the Listing and/or Selling Agent.








