$2,200,000 - 9240 Harness St, Spring Valley
- 8.00Acres
Spring Valley Home For Sale
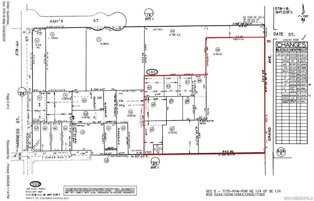
Prime Development Opportunity: 8 acres across 13 contiguous parcels in San Diego County, offering significant potential for subdivision and residential development. Preliminary discussions with the County indicate the possibility of up to 26 residential lots (approximately 6,000 sq. ft. each), presenting a compelling value-add opportunity for builders and investors. The property includes three existing tenant-occupied homes, all in poor condition and not up to current code standards. The offering is being sold for land value, providing a clean slate for redevelopment. While a portion of the site is impacted by open space easements and topography, there remains strong potential to maximize yield through thoughtful site planning and entitlements. Buyer to verify all information, including development potential, zoning, and approvals. Seller and broker make no guarantees The 13 parcels included in the sale are as follows: APN #1- 578-160-05-00 APN #2 - 578-160-40-00 APN #3- 578-160-41-00 APN #4- 578-160-42-00 APN #5- 578-160-57-00 APN #6- 578-160-58-00 APN #7- 578-160-61-00 APN #8- 578-160-62-00 APN #9- 578-160-63-00 APN #10- 578-160-66-00 APN #11- 578-160-69-00 APN #12- 578-160-71-00 APN #13 -578-160-72-00
Sales Agent
- Sam Smith
- San Clemente Realtor ®
- Phone: 949-204-5110
- Cell: 949-204-5110
- Contact Agent Now
Additional Information
- Date ListedApril 6th, 2026
- Days on Market6
- Short SaleN
- RE / Bank OwnedN
Essential Information
- MLS® #260008079SD
- Price$2,200,000
- Bathrooms0.00
- Acres8.00
- TypeLand
- StatusActive
- Listing AgentJoshua Barbera
- Listing OfficeSalas Properties
Community Information
- Address9240 Harness St
- Area91977 - Spring Valley
- SubdivisionSpring Valley
- CitySpring Valley
- CountySan Diego
- Zip Code91977
Similar Type Properties to 260008079SD, 9240 Harness St, Spring Valley
Back to ResultsSpring Valley Grand Avenue
Similar Neighborhoods to "Spring Valley" in Spring Valley, California
Back to ResultsSpring Valley
- City:
- Spring Valley
- Price Range:
- $175,000 - $2,200,000
- Current Listings:
- 9
- HOA Dues:
- $0
- Average Price per Square Foot:
- $
Based on information from California Regional Multiple Listing Service, Inc. as of April 13th, 2026 at 8:25am PDT. This information is for your personal, non-commercial use and may not be used for any purpose other than to identify prospective properties you may be interested in purchasing. Display of MLS data is usually deemed reliable but is NOT guaranteed accurate by the MLS. Buyers are responsible for verifying the accuracy of all information and should investigate the data themselves or retain appropriate professionals. Information from sources other than the Listing Agent may have been included in the MLS data. Unless otherwise specified in writing, Broker/Agent has not and will not verify any information obtained from other sources. The Broker/Agent providing the information contained herein may or may not have been the Listing and/or Selling Agent.




